Log In/Sign Up
Your email has been sent.
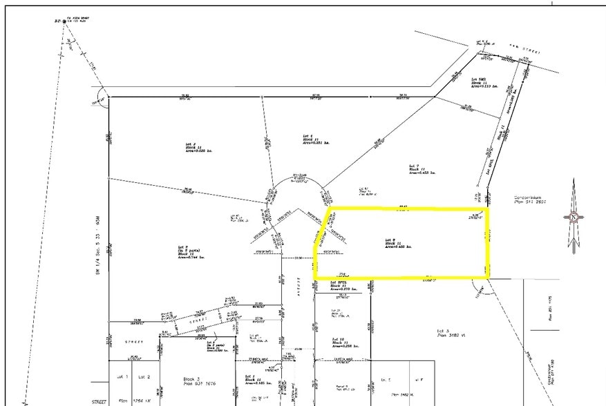
4575C 51 Ave - Chinook Estates Commercial 1.05 Acres of Commercial Land Offered at $677,500 CAD in Olds, AB T4H 1J1



Investment Highlights
- " No business tax
- " High traffic area
- " Easy access to all the amenities provided in the Town of Olds
- " Lower lot price than surrounding cities
- " Close proximity to nearby recreational areas
- " Olds is located minutes off major highway QE2
Executive Summary
Looking for an investment or business opportunity? Here is a potential RETAIL DEVELOPMENT SITE in the fast-growing community of Olds, Alberta. Olds is centrally located between Calgary and Red Deer and serves many of the surrounding communities as well as Mountain View County. This property features a great central location in a new developing area, approx. 1.05 acres, fully serviced site. Benefits include no business tax, lower lot price than surrounding cities, high traffic area, close to shops and restaurants, easy access to all the amenities provided in the Town of Olds, close proximity to nearby recreational areas and minutes off major highway QE2. See brochure for further information. Note: Adjacent lot also available for sale. A hotel and multi-family housing are planned to complement this area.
Olds Alberta is centrally located between Calgary and Red Deer and serves many of the surrounding communities as well as Mountain View County. Investor or owner-user opportunity.
Olds Alberta is centrally located between Calgary and Red Deer and serves many of the surrounding communities as well as Mountain View County. Investor or owner-user opportunity.
Property Facts
1 Lot Available
Lot 8
| Price | $677,500 CAD | Lot Size | 1.05 AC |
| Price Per AC | $645,238.10 CAD |
| Price | $677,500 CAD |
| Price Per AC | $645,238.10 CAD |
| Lot Size | 1.05 AC |
Looking for an investment or business opportunity? Here is a potential RETAIL DEVELOPMENT SITE in the fast-growing community of Olds, Alberta.
1 1
Fairly walkable
50/100
Exceptionally drivable
90/100
Moderately bikeable
70/100
1 of 4
Videos
Matterport 3D Exterior
Matterport 3D Tour
Photos
Street View
Street
Map
1 of 1
Presented by
4575C 51 Ave - Chinook Estates Commercial
Already a member? Log In
Hmm, there seems to have been an error sending your message. Please try again.
Thanks! Your message was sent.
