Log In/Sign Up
Your email has been sent.
46 Whispering Cedars Rd - Whispering Cedar Subdivision - 201 Lots 264 Acres of Residential Land Offered at $545,704 CAD in Jamestown, NM 87347



Investment Highlights
- This beautiful property is bordered to the south and east by the Cibola National Forest and Zuni Mountains.
- Easy access to excellent shopping and employment opportunities
- Conveniently located approximately 27 miles and only 30 minutes east of Gallup, New Mexico
- Straightforward route from I-40 to the Jamestown Exit 47 to Cedars Drive/Whispering Cedars Drive
Executive Summary
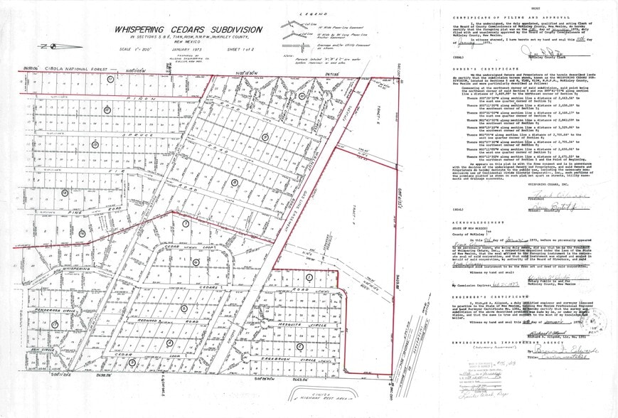
Great Views. Platted and Undeveloped Subdivision - 201 Lots - 264.41 Acres. Enjoy excellent Access abutting existing developed lots, with a straightforward route from I-40 to the Jamestown Exit 47 to Cedars Drive/Whispering Cedars Drive. The property begins with a large lot to the east and north of the Fire Station and goes west and parallel to Whispering Cedars Drive. This platted and undeveloped subdivision is conveniently located approximately 27 miles and only 30 minutes east of Gallup, New Mexico, ensuring easy access to excellent shopping and employment opportunities.
This second Phase of the subdivision, with its 201 Lots and 2 Tracts of land on 264.41 acres, presents a significant development opportunity. The first phase was completed several years ago, and the second phase is ready to be developed.
This beautiful property is bordered to the south and east by the Cibola National Forest and Zuni Mountains. Local Native American tribes, including the Zuni, Acoma, and Navajo, have used the area for centuries. The forest has deer, elk, bear, etc. Excellent hiking and camping.
This second Phase of the subdivision, with its 201 Lots and 2 Tracts of land on 264.41 acres, presents a significant development opportunity. The first phase was completed several years ago, and the second phase is ready to be developed.
This beautiful property is bordered to the south and east by the Cibola National Forest and Zuni Mountains. Local Native American tribes, including the Zuni, Acoma, and Navajo, have used the area for centuries. The forest has deer, elk, bear, etc. Excellent hiking and camping.
Property Facts
| Price | $545,704 CAD | Property Subtype | Residential |
| Sale Type | Investment or Owner User | Proposed Use | Single Family Development |
| No. Lots | 1 | Total Lot Size | 264.00 AC |
| Property Type | Land | ||
| Zoning | County - McKinley County - No Zoning | ||
| Price | $545,704 CAD |
| Sale Type | Investment or Owner User |
| No. Lots | 1 |
| Property Type | Land |
| Property Subtype | Residential |
| Proposed Use | Single Family Development |
| Total Lot Size | 264.00 AC |
| Zoning | County - McKinley County - No Zoning |
1 Lot Available
Lot
| Price | $545,704 CAD | Lot Size | 264.00 AC |
| Price Per AC | $2,067.06 CAD |
| Price | $545,704 CAD |
| Price Per AC | $2,067.06 CAD |
| Lot Size | 264.00 AC |
201 Lots on 264.41 Acres. Ready to develop. Phase 1, to the east, has been developed. Phase 2 is platted and undeveloped. These lots have excellent paved access from Interstate 40 through Phase 1, and they are wooded with Pine, Pinion, Cedar, etc.
1 1
Not walkable
10/100
Exceptionally drivable
90/100
Somewhat bikeable
20/100
1 of 5
Videos
Matterport 3D Exterior
Matterport 3D Tour
Photos
Street View
Street
Map
1 of 1
Presented by
46 Whispering Cedars Rd - Whispering Cedar Subdivision - 201 Lots
Already a member? Log In
Hmm, there seems to have been an error sending your message. Please try again.
Thanks! Your message was sent.
