Log In/Sign Up
Your email has been sent.
Highlights
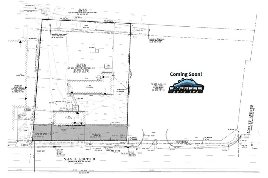
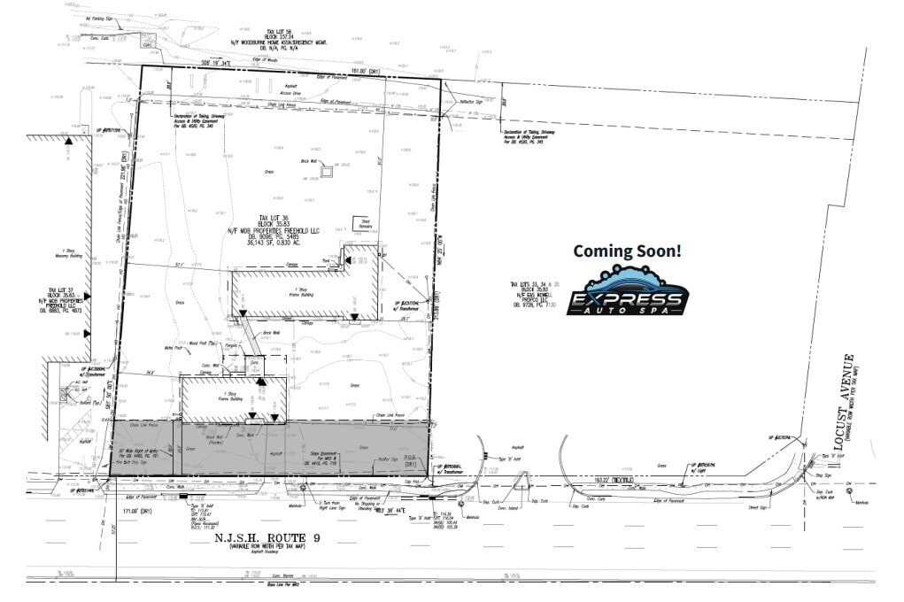
- Prime frontage on Route 9, a major north-south arterial with 40,261 VPD
- Easy access to major highways including Route 33, I-195, and Garden State Parkway
- Suitable for free standing pad up to 3,300 SF with drive thru lanes
LOT Available
Display Rental Rate as
| Rental Rate |
|
Lot Size | 0.77 AC |
| Lease Term | Negotiable |
| Rental Rate | |
| Lease Term | Negotiable |
| Lot Size | 0.77 AC |
Property Facts
1 1
Fairly walkable
50/100
Exceptionally drivable
100/100
Limited public transit
30/100
Fairly bikeable
40/100
1 of 2
Videos
Matterport 3D Exterior
Matterport 3D Tour
Photos
Street View
Street
Map
1 of 1
Presented by
4621 US Highway 9
Already a member? Log In
Hmm, there seems to have been an error sending your message. Please try again.
Thanks! Your message was sent.

