Your email has been sent.
Investment Highlights
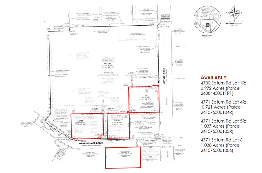
- 0.972 acre Urban Business zoned infill pad at 4700 Saturn Rd
- Just west of signalized Saturn Rd and Marketplace Blvd intersection
- Part of a four parcel portfolio totaling ± 3.77 Acres.
- Adjacent to nearly 300 unit Filament multifamily community
- Strong exposure to I-635 with 186,336 vehicles per day nearby.
- To view all available properties, please visit www.ridgepcre.com
Executive Summary
This portfolio consists of four Urban Business zoned infill pad sites totaling ± 3.77 Acres at 4700 and 4771 Saturn Rd in Garland, Texas. Lots included in this portfolio consist of Lot 1R (0.972 AC), Lot 4R (0.721 AC), Lot 5R (1.037 AC) and Lot 6 (1.038 AC), with all featuring utilities to site.
Adjacent to the nearly 300-unit Filament multifamily community and just west of the signalized Saturn Rd and Marketplace Blvd intersection
Nearby retailers include Walmart, Joe V’s Smart Shop (H-E-B), Aldi, Tom Thumb, LA Fitness, Starbuck’s, IHOP, Discount Tire, Ross, Dollar Tree, Chili’s, Braum’s, Scooter’s Coffee, Golden Corral, Stanton Optical, Olive Garden, On the Border and dozens of others.
Urban Business Uses: Permitted by right uses include retail, restaurant, office, medical and townhomes or mixed use per the Garland Development Code. Complete list of permitted uses available upon request.
For additional information, please contact David English or Jonathan Young, CCIM
For a complete list of all available properties, please visit www.ridgepcre.com
Property Facts
1 Lot Available
Lot 1R
| Lot Size | 0.97 AC |
| Lot Size | 0.97 AC |
4700 Saturn Rd Lot 1R: 0.972 Acres (Parcel 26084450011R1)
Description
4700 Saturn Rd Lot 1R: 0.972 Acres (Parcel 26084450011R1) Rare infill pad sites at the NWQ of I-635 and Saturn Road offer investors the opportunity to acquire development-ready land in one of Garland’s most active retail corridors. Adjacent to the newly built Filament multifamily development and surrounded by a deep lineup of national retailers and restaurants, the subject property benefits from built-in consumer demand, excellent regional access, and substantial traffic exposure. Urban Business zoning and utilities to the site support a broad range of uses, including retail, restaurant, office, medical, and mixed-use development, while the combination of strong daytime population, growing households, and a heavily trafficked corridor positions this asset for long-term value appreciation and flexible execution. This portfolio consists of four Urban Business zoned infill pad sites totaling ± 3.77 Acres at 4700 and 4771 Saturn Rd in Garland, Texas. Lots included in this portfolio consist of Lot 1R (0.972 AC), Lot 4R (0.721 AC), Lot 5R (1.037 AC) and Lot 6 (1.038 AC), with all featuring utilities to site. Adjacent to the nearly 300-unit Filament multifamily community and just west of the signalized Saturn Rd and Marketplace Blvd intersection Nearby retailers include Walmart, Joe V’s Smart Shop (H-E-B), Aldi, Tom Thumb, LA Fitness, Starbuck’s, IHOP, Discount Tire, Ross, Dollar Tree, Chili’s, Braum’s, Scooter’s Coffee, Golden Corral, Stanton Optical, Olive Garden, On the Border and dozens of others. Urban Business Uses: Permitted by right uses include retail, restaurant, office, medical and townhomes or mixed use per the Garland Development Code. Complete list of permitted uses available upon request. For additional information, please contact David English or Jonathan Young, CCIM For a complete list of all available properties, please visit www.ridgepcre.com
Property Taxes
| Parcel Number | 26084450011R10000 | Improvements Assessment | $0 CAD |
| Land Assessment | $462,144 CAD | Total Assessment | $462,144 CAD |
Property Taxes
Presented by
4700 Saturn Rd - Centerville Marketplace West
Hmm, there seems to have been an error sending your message. Please try again.
Thanks! Your message was sent.



