Log In/Sign Up
Your email has been sent.
47365 Ford Rd
Canton Township, MI 48187
12.15 ac. Ford Road, 3 Parcels, Canton Twp. · Land For Sale
·
12.15 AC

Property Facts Under Contract
| Sale Type | Investment | Property Subtype | Residential |
| No. Lots | 1 | Total Lot Size | 12.15 AC |
| Property Type | Land | ||
| Zoning | Residential | ||
| Sale Type | Investment |
| No. Lots | 1 |
| Property Type | Land |
| Property Subtype | Residential |
| Total Lot Size | 12.15 AC |
| Zoning | Residential |
1 Lot Available
Lot
| Price | $4,109,130 CAD | Lot Size | 12.15 AC |
| Price Per AC | $338,199.99 CAD |
| Price | $4,109,130 CAD |
| Price Per AC | $338,199.99 CAD |
| Lot Size | 12.15 AC |
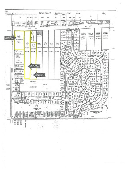
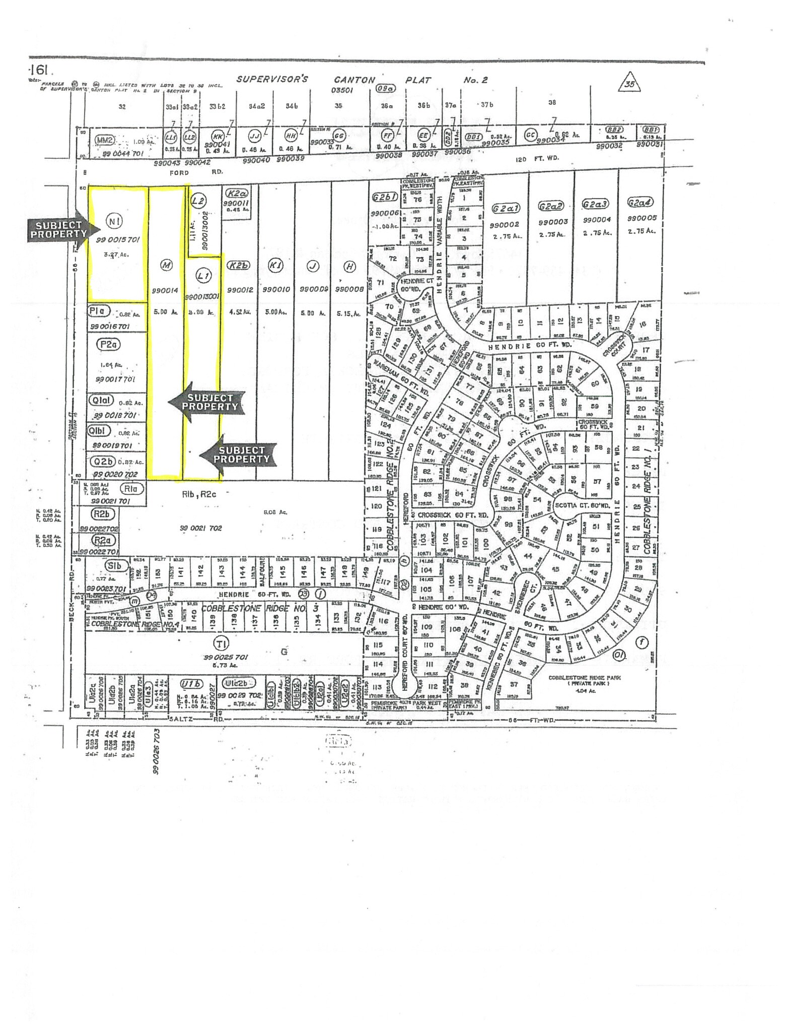
Corner Location! Prime Real Estate on Ford Road. Great location with Ford Road frontage. Sale includes Property ID #71062990013001 (3.88 acres), Property ID #71062990014000 (5 acres), and Property ID #71062990015701 (3.27 acres).
1 of 2
Videos
Matterport 3D Exterior
Matterport 3D Tour
Photos
Street View
Street
Map
