Log In/Sign Up
Your email has been sent.
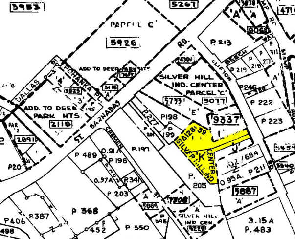
4747 Clifton Rd 13,000 SF Industrial Building Temple Hills, MD 20748 $2,672,299 CAD ($205.56 CAD/SF)



Investment Highlights
- 2 Story Industrial Building
- Plenty of parking
- Storage Yard
- Prime Location
Executive Summary
Prime investment opportunity for an owner-user or developer.
This two-story industrial building offers over 13,000 SF on 0.84 acres, zoned I-E, which permits a wide range of uses—including a contractor’s yard. The property provides ample outdoor storage and excellent potential for interior build-out, allowing for a flexible mix of office and warehouse space. Please see the attached I-E zoning table for permitted uses.
This two-story industrial building offers over 13,000 SF on 0.84 acres, zoned I-E, which permits a wide range of uses—including a contractor’s yard. The property provides ample outdoor storage and excellent potential for interior build-out, allowing for a flexible mix of office and warehouse space. Please see the attached I-E zoning table for permitted uses.
Taxes & Operating Expenses (Actual - 2025) Click Here to Access |
Annual (CAD) | Annual Per SF (CAD) |
|---|---|---|
| Taxes |
-
|
-
|
| Operating Expenses |
-
|
-
|
| Total Expenses |
$99,999
|
$9.99
|
Taxes & Operating Expenses (Actual - 2025) Click Here to Access
| Taxes (CAD) | |
|---|---|
| Annual | - |
| Annual Per SF | - |
| Operating Expenses (CAD) | |
|---|---|
| Annual | - |
| Annual Per SF | - |
| Total Expenses (CAD) | |
|---|---|
| Annual | $99,999 |
| Annual Per SF | $9.99 |
Property Facts
1 1
Fairly walkable
50/100
Exceptionally drivable
100/100
Some public transit
40/100
Somewhat bikeable
30/100
Property Taxes
| Parcel Number | 06-0493726 | Improvements Assessment | $0 CAD |
| Land Assessment | $0 CAD | Total Assessment | $1,241,587 CAD |
Property Taxes
Parcel Number
06-0493726
Land Assessment
$0 CAD
Improvements Assessment
$0 CAD
Total Assessment
$1,241,587 CAD
1 of 6
Videos
Matterport 3D Exterior
Matterport 3D Tour
Photos
Street View
Street
Map
1 of 1
Presented by
4747 Clifton Rd
Already a member? Log In
Hmm, there seems to have been an error sending your message. Please try again.
Thanks! Your message was sent.
