Log In/Sign Up
Your email has been sent.
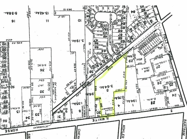
479 White Horse Pike 479 White Horse Pike 1 Acre of Commercial Land for Lease in Atco, NJ 08004



Highlights
- Drive Thru
- Can be Delivered Built to Spec or Pad
- 21,000+ VPD
LOT Available
Display Rental Rate as
| Rental Rate |
|
Lot Size | 1.00 AC |
| Lease Term | Negotiable |
| Rental Rate | |
| Lease Term | Negotiable |
| Lot Size | 1.00 AC |
Retail Pad Site for lease, anchored by proposed Wyndham Microtel Suites. - Approved Drive - Thru - Estimated 21,000+ VPD on Major Highway
Property Facts
1 1
Somewhat walkable
30/100
Exceptionally drivable
100/100
Limited public transit
30/100
Somewhat bikeable
20/100
1 of 4
Videos
Matterport 3D Exterior
Matterport 3D Tour
Photos
Street View
Street
Map
1 of 1
Presented by
479 White Horse Pike | 479 White Horse Pike
Already a member? Log In
Hmm, there seems to have been an error sending your message. Please try again.
Thanks! Your message was sent.
