Log In/Sign Up
Your email has been sent.
Executive Summary
Office or Retail or land for redevelopment. Preliminary approval 23 space RV park.
Property Facts
Sale Type
Investment or Owner User
Sale Condition
Redevelopment Project
Property Type
Office
Building Size
976 SF
Building Class
B
Year Built
2025
Price
$545,768 CAD
Price Per SF
$559.19 CAD
Tenancy
Single
Building Height
1 Story
Typical Floor Size
976 SF
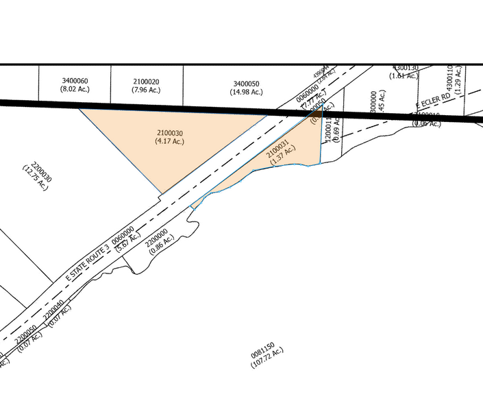
Lot Size
5.53 AC
Zoning
RC3 - Rural Tourist Campground (RTC)
Not walkable
10/100
Exceptionally drivable
100/100
Not bikeable
10/100
Property Taxes
| Parcel Numbers | Improvements Assessment | $204,745 CAD | |
| Land Assessment | $247,429 CAD | Total Assessment | $452,174 CAD |
Property Taxes
Parcel Numbers
Land Assessment
$247,429 CAD
Improvements Assessment
$204,745 CAD
Total Assessment
$452,174 CAD
1 of 14
Videos
Matterport 3D Exterior
Matterport 3D Tour
Photos
Street View
Street
Map
Presented by
4831 E State Route 3
Already a member? Log In
Hmm, there seems to have been an error sending your message. Please try again.
Thanks! Your message was sent.




