Log In/Sign Up
Your email has been sent.
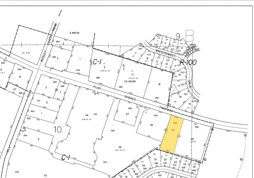
Former Pizza Hut & WingStreet Site 4985 Flat Shoals Pky 2,430 SF Retail Building Decatur, GA 30034 For Sale



Investment Highlights
- Chapel Hill Commons outparcel
- favorable zoning for convenient local retail
- rare owner-user opportunity
- excellent accessibility & exposure
- neighbors Kroger & Publix
Executive Summary
1.510 acre outparcel site located adjacent Highway 155 (Flat Shoals Parkway). The opportunity is to purchase the Property that is improved with a restaurant building, currently leased by a Pizza Hut franchisee. The strategy for this site should be one that complements the local comprehensive development plan. The regulations set forth for the Local Commercial District (C-1) boundary area shall apply.
Data Room Click Here to Access
Property Facts
Sale Type
Investment or Owner User
Property Type
Retail
Property Subtype
Building Size
2,430 SF
Building Class
C
Year Built
2000
Tenancy
Single
Building Height
1 Story
Building FAR
0.04
Lot Size
1.51 AC
Zoning
C-1 - Local Commercial District
Frontage
168’ on Flat Shoals Pkwy
Space Availability
- Space
- Size
- Space Use
- Position
- Available
- 1st Floor
- 2,430 SF
- Restaurant
- Outparcel
- 60 Days
| Space | Size | Space Use | Position | Available |
| 1st Floor | 2,430 SF | Restaurant | Outparcel | 60 Days |
1st Floor
| Size |
| 2,430 SF |
| Space Use |
| Restaurant |
| Position |
| Outparcel |
| Available |
| 60 Days |
Fairly walkable
40/100
Exceptionally drivable
100/100
Somewhat bikeable
20/100
Nearby Major Retailers
Property Taxes
| Parcel Number | 15-061-10-029 | Improvements Assessment | $389,882 CAD |
| Land Assessment | $209,937 CAD | Total Assessment | $599,819 CAD |
Property Taxes
Parcel Number
15-061-10-029
Land Assessment
$209,937 CAD
Improvements Assessment
$389,882 CAD
Total Assessment
$599,819 CAD
1 of 7
Videos
Matterport 3D Exterior
Matterport 3D Tour
Photos
Street View
Street
Map
Presented by
Former Pizza Hut & WingStreet Site | 4985 Flat Shoals Pky
Already a member? Log In
Hmm, there seems to have been an error sending your message. Please try again.
Thanks! Your message was sent.
