Your email has been sent.
5 Tiger Lily Dr 2,906 SF of Retail Space Available in Sturry CT2 0FL



Highlights
- Staff Facilities
- Busy and expanding surrounding residential area
- Open plan for fitting out
Space Availability (1)
Display Rental Rate as
- Space
- Size
- Term
- Rental Rate
- Type
| Space | Size | Term | Rental Rate | Rent Type | ||
| Ground, Ste 1 | 2,906 SF | Negotiable | $31.76 CAD/SF/YR $2.65 CAD/SF/MO $92,292 CAD/YR $7,691 CAD/MO | Fully Repairing & Insuring |
Ground, Ste 1
The property comprises a newly constructed detached retail unit located prominently on the Buddy’s Retail Park. Of steel frame construction with brick and glazed elevations, the accommodation will provide open plan retail space on the ground floor with additional ancillary space on the first floor. The building will be available as one unit or may be divided into two self contained units. The accommodation will be left to developers shell finish so fitting out will be required by the tenant.
- Use Class: E
- Space is an outparcel at this property
- Kitchen
- Common Parts WC Facilities
- Smoke Detector
- Brand New Retail Unit
- Off Street Parking
- Ancillary space on the first floor
Service Types
The rent amount and service type that the tenant (lessee) will be responsible to pay to the landlord (lessor) throughout the lease term is negotiated prior to both parties signing a lease agreement. The service type will vary depending upon the services provided. Contact the listing broker for a full understanding of any associated costs or additional expenses for each service type.
1. Fully Repairing & Insuring: All obligations for repairing and insuring the property (or their share of the property) both internally and externally.
2. Internal Repairing Only: The tenant is responsible for internal repairs only. The landlord is responsible for structural and external repairs.
3. Internal Repairing & Insuring: The tenant is responsible for internal repairs and insurance for internal parts of the property only. The landlord is responsible for structural and external repairs.
4. Negotiable or TBD: This is used when the leasing contact does not provide the service type.
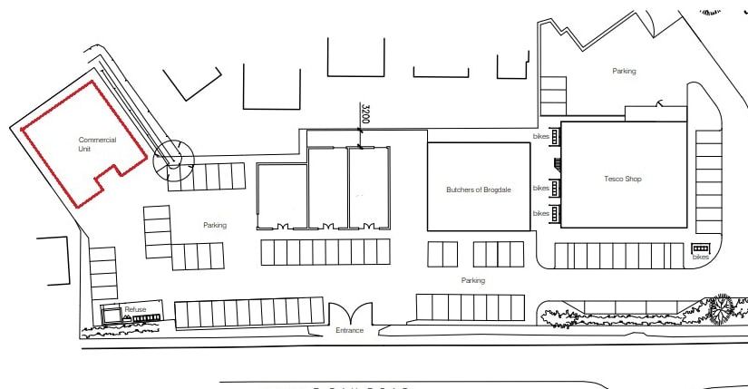
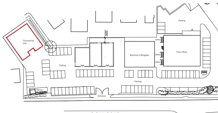
Site Plan
Property Facts
| Total Space Available | 2,906 SF | Gross Leasable Area | 4,370 SF |
| Property Type | Retail | Year Built | 2024 |
| Property Subtype | Storefront |
| Total Space Available | 2,906 SF |
| Property Type | Retail |
| Property Subtype | Storefront |
| Gross Leasable Area | 4,370 SF |
| Year Built | 2024 |
About the Property
The property comprises a newly constructed detached retail unit located prominently on the Buddies Retail Park. Of steel frame construction with brick and glazed elevations, the accommodation will provide open plan retail space on the ground floor with additional ancillary space on the first floor. Buddies Retail Park is located on the Herne Bay Road just half a mile north of the centre of Sturry and 4 miles north east of the city of Canterbury. The north Kent seaside town of Herne Bay is 6 miles to the north.
Nearby Major Retailers
Presented by
5 Tiger Lily Dr
Hmm, there seems to have been an error sending your message. Please try again.
Thanks! Your message was sent.
