Log In/Sign Up
Your email has been sent.
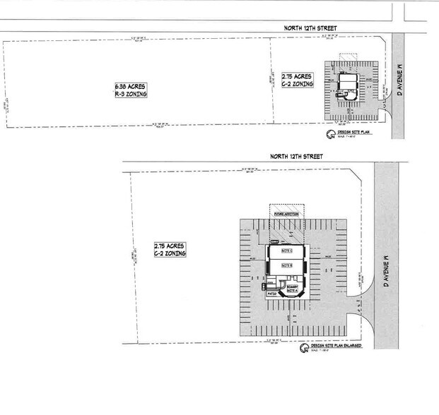
Build-to-Suite 12th Street Vacant Land 5010 D 2.75 - 6.38 Acres of Commercial Land for Lease in Kalamazoo, MI 49009



LOT Available
Display Rental Rate as
| Rental Rate |
|
Lot Size | 2.75 - 6.38 AC |
| Lease Term | 5 Years |
| Rental Rate | |
| Lease Term | 5 Years |
| Lot Size | 2.75 - 6.38 AC |
Property Overview
Build-to-Suit opportunity on a Prime Commercial property located on the NW corner of 12th Street & D Avenue. The site consist of 2.75 acres of retail and 6.38 acres of residential/multi-family land. Located just off US-131 Highway at the D Avenue exit. This site is in the midst of growth with new developments going both east and west of highway US-131. Now is a great time to get in on the excitement surrounding this exit. Near Love's Gas Station, McDonalds and Subway. A Biggby Coffee is on board to lease one of the suites, be the next tenant!
Property Facts
| Total Space Available | 6.38 AC | Property Subtype | Commercial |
| Min. Divisible | 2.75 AC | Cross Streets | 12th & US-131 Hwy |
| Property Type | Land |
| Total Space Available | 6.38 AC |
| Min. Divisible | 2.75 AC |
| Property Type | Land |
| Property Subtype | Commercial |
| Cross Streets | 12th & US-131 Hwy |
1 1
1 of 8
Videos
Matterport 3D Exterior
Matterport 3D Tour
Photos
Street View
Street
Map
1 of 1
Presented by
Build-to-Suite 12th Street Vacant Land | 5010 D
Already a member? Log In
Hmm, there seems to have been an error sending your message. Please try again.
Thanks! Your message was sent.
