Your email has been sent.
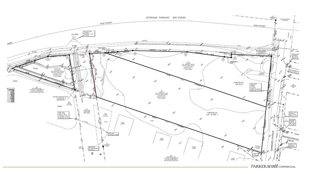
5011-5013 Garrard Ave - Approved Multi-family Development Project 4.29 Acres of Commercial Land Offered at $2,863,686 CAD in Savannah, GA 31405



Investment Highlights
- This design offers privacy and functionality for both residents and guests
Executive Summary
The townhouses are thoughtfully designed in pairs, each featuring a garden-level 1BR/1BA flat that can be used as a living space or a flexible work area. Above each flat is a spacious three-bedroom townhouse with a two-car garage in the rear. Additionally, each townhouse has a separate “carriage house” studio apartment above the garage, accessible via a private lane with parallel parking. This design offers privacy and functionality for both residents and guests.
Approved Multi-Family Development Project -Density 75 Units Total (mix: studio, 1BR, 2BR, 3BR):
14 townhomes
14 garden apartments
14 carriage houses (above 2 car garages)
33 apartments (2 apartment buildings)
Amenity center (ground floor)
Property Facts
1 Lot Available
Lot
| Price | $2,863,686 CAD | Lot Size | 4.29 AC |
| Price Per AC | $667,525.86 CAD |
| Price | $2,863,686 CAD |
| Price Per AC | $667,525.86 CAD |
| Lot Size | 4.29 AC |
Approved Multi-Family Development Project -Density 75 Units Total (mix: studio, 1BR, 2BR, 3BR): 14 townhomes 14 garden apartments 14 carriage houses (above 2 car garages) 33 apartments (2 apartment buildings) Amenity center (ground floor)
Description
This approved development project offers total density 75 units: 33 apartment units, divided between two buildings — the “North” and “South” buildings, as outlined in the site plan. The North Building includes a ground-floor fitness center and a rooftop amenity space featuring both indoor and outdoor areas for coffee, work, and socializing. The rooftop offers a dynamic environment for day-to-night use, making it ideal for both relaxation and community engagement. Surrounding surface lots will provide convenient parking, with additional outdoor amenities, including cookout spaces and play areas for residents. The townhouses are thoughtfully designed in pairs, each featuring a garden-level 1BR/1BA flat that can be used as a living space or a flexible work area. Above each flat is a spacious three-bedroom townhouse with a two-car garage in the rear. Additionally, each townhouse has a separate “carriage house” studio apartment above the garage, accessible via a private lane with parallel parking. This design offers privacy and functionality for both residents and guests. Approved Multi-Family Development Project -Density 75 Units Total (mix: studio, 1BR, 2BR, 3BR): 14 townhomes 14 garden apartments 14 carriage houses (above 2 car garages) 33 apartments (2 apartment buildings) Amenity center (ground floor)
Presented by
5011-5013 Garrard Ave - Approved Multi-family Development Project
Hmm, there seems to have been an error sending your message. Please try again.
Thanks! Your message was sent.
