Log In/Sign Up
Your email has been sent.
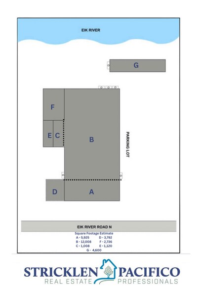
5100 Elk River Road N 5105 Elk River Rd 31,189 SF Flex Building Elkview, WV 25071 $1,741,050 CAD ($55.82 CAD/SF)



Investment Highlights
- Located just five minutes from interstate and 15 from Downtown Charleston
- Income producing
- Elk River access on site
Executive Summary
Commercial Investment Opportunity | 6 Acres | Income-Producing
Prime commercial property now available just minutes from the heart of Charleston. This versatile asset sits on 6 flat acres, with most of the property fully fenced, offering security and flexibility for a wide range of commercial or industrial uses.
The property features approximately 30,000 square feet under roof, strategically spread across three separate buildings. Multiple structures provide adaptability for owner-users, investors, or redevelopment opportunities.
Currently, the property includes three established tenants, generating immediate income, while vacant space remains available for expansion, additional tenants, or owner occupancy—creating both cash flow and upside potential.
Prime commercial property now available just minutes from the heart of Charleston. This versatile asset sits on 6 flat acres, with most of the property fully fenced, offering security and flexibility for a wide range of commercial or industrial uses.
The property features approximately 30,000 square feet under roof, strategically spread across three separate buildings. Multiple structures provide adaptability for owner-users, investors, or redevelopment opportunities.
Currently, the property includes three established tenants, generating immediate income, while vacant space remains available for expansion, additional tenants, or owner occupancy—creating both cash flow and upside potential.
Property Facts
| Price | $1,741,050 CAD | Lot Size | 55.69 AC |
| Price Per SF | $55.82 CAD | Rentable Building Area | 31,189 SF |
| Sale Type | Investment or Owner User | No. Stories | 1 |
| Property Type | Flex | Year Built | 1976 |
| Property Subtype | Showroom | Tenancy | Single |
| Building Class | C | Parking Ratio | 2.73/1,000 SF |
| Price | $1,741,050 CAD |
| Price Per SF | $55.82 CAD |
| Sale Type | Investment or Owner User |
| Property Type | Flex |
| Property Subtype | Showroom |
| Building Class | C |
| Lot Size | 55.69 AC |
| Rentable Building Area | 31,189 SF |
| No. Stories | 1 |
| Year Built | 1976 |
| Tenancy | Single |
| Parking Ratio | 2.73/1,000 SF |
Amenities
- Fenced Lot
Utilities
- Gas
- Water - City
- Sewer - City
- Heating
1 1
Somewhat walkable
20/100
Exceptionally drivable
100/100
Limited public transit
30/100
Somewhat bikeable
20/100
Property Taxes
| Parcel Number | 15-23-00550000 | Improvements Assessment | $252,132 CAD |
| Land Assessment | $486,115 CAD | Total Assessment | $738,247 CAD |
Property Taxes
Parcel Number
15-23-00550000
Land Assessment
$486,115 CAD
Improvements Assessment
$252,132 CAD
Total Assessment
$738,247 CAD
1 of 25
Videos
Matterport 3D Exterior
Matterport 3D Tour
Photos
Street View
Street
Map
1 of 1
Presented by
5100 Elk River Road N | 5105 Elk River Rd
Already a member? Log In
Hmm, there seems to have been an error sending your message. Please try again.
Thanks! Your message was sent.
