Log In/Sign Up
Your email has been sent.
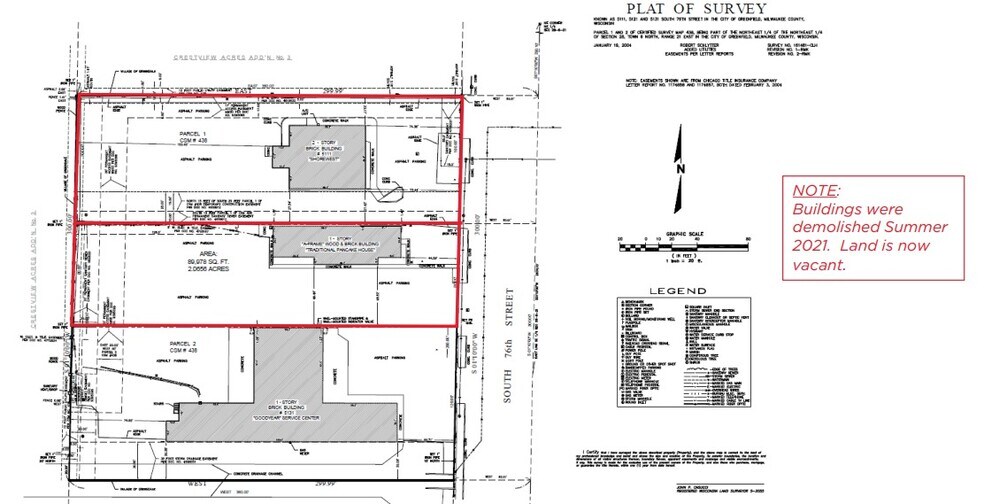
5111-5121 S 76th St 1.24 Acres of Commercial Land for Lease in Greendale, WI 53129



LOT Available
Display Rental Rate as
| Rental Rate |
|
Lot Size | 1.24 AC |
| Lease Term | Negotiable |
| Rental Rate | |
| Lease Term | Negotiable |
| Lot Size | 1.24 AC |
Contract broker for pricing.
Property Overview
The site sits directly across from Southridge Mall (one of Wisconsin’s largest malls) and future redevelopment site of former Boston Store. Opportunity to locate along one of southeastern Wisconsin’s major retail corridors. Opportunity to purchase, ground lease or build to suit.
Property Facts
1 1
1 of 4
Videos
Matterport 3D Exterior
Matterport 3D Tour
Photos
Street View
Street
Map
1 of 1
Presented by
5111-5121 S 76th St
Already a member? Log In
Hmm, there seems to have been an error sending your message. Please try again.
Thanks! Your message was sent.
