Log In/Sign Up
Your email has been sent.
Investment Highlights
- Immediate Interstate Access
- Part of Center Pointe Business Park
- Nearby Retail & Medical
Property Facts
| Sale Type | Investment or Owner User | Property Subtype | Commercial |
| No. Lots | 1 | Proposed Use | Commercial |
| Property Type | Land | Total Lot Size | 3.77 AC |
| Sale Type | Investment or Owner User |
| No. Lots | 1 |
| Property Type | Land |
| Property Subtype | Commercial |
| Proposed Use | Commercial |
| Total Lot Size | 3.77 AC |
1 Lot Available
Lot
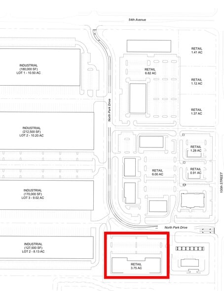
| Lot Size | 3.75 AC |
| Lot Size | 3.75 AC |
Prime retail lot available for purchase and build, offering immediate access to the interstate. Surrounded by thriving businesses, including restaurants, medical offices, and other high-traffic amenities, perfect for your next commercial development.
Description
Prime retail lot available for purchase and build, offering immediate access to the interstate. Surrounded by thriving businesses, including restaurants, medical offices, and other high-traffic amenities, perfect for your next commercial development. Site plans are subject to change.
Somewhat walkable
30/100
Exceptionally drivable
100/100
Fairly bikeable
40/100
Property Taxes
| Parcel Number | 312/00352-900-003 | Improvements Assessment | $0 CAD |
| Land Assessment | $10,491 CAD | Total Assessment | $10,491 CAD |
Property Taxes
Parcel Number
312/00352-900-003
Land Assessment
$10,491 CAD
Improvements Assessment
$0 CAD
Total Assessment
$10,491 CAD
1 of 3
Videos
Matterport 3D Exterior
Matterport 3D Tour
Photos
Street View
Street
Map
Presented by
5150 100th St - Center Pointe Retail 3.75 AC
Already a member? Log In
Hmm, there seems to have been an error sending your message. Please try again.
Thanks! Your message was sent.



