Log In/Sign Up
Your email has been sent.
5420 10th E
Bradenton, FL 34203
10th Lane E, Bradenton, FL · Land For Sale
·
6.62 AC


Investment Highlights
- Heavy traffic counts.
- Located in a well established suburban market.
- Great access and visibility.
Executive Summary
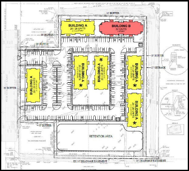
Colliers is pleased to offer for sale 6.62± acres on 10th Lane E. and 53rd Avenue East in Bradenton, FL. This affordable housing development project is centrally located and fully-entitled. This site is currently zoned for 16 units per acre with the ability to rezone utilizing the Affordable Housing Program allowing the density to increase to 32 units per acre. The surrounding are of Bradenton is a great location in the heart of the action surrounded by shopping, entertainment, and restaurants giving walkability to residents.
Property Facts Under Contract
| Sale Type | Investment | Property Subtype | Residential |
| No. Lots | 1 | Proposed Use | Multifamily |
| Property Type | Land | Total Lot Size | 6.62 AC |
| Zoning | RS -16 - Land Use is RS-16 | ||
| Sale Type | Investment |
| No. Lots | 1 |
| Property Type | Land |
| Property Subtype | Residential |
| Proposed Use | Multifamily |
| Total Lot Size | 6.62 AC |
| Zoning | RS -16 - Land Use is RS-16 |
1 Lot Available
Lot
| Price | $7,929,934 CAD | Lot Size | 6.62 AC |
| Price Per AC | $1,197,875.28 CAD |
| Price | $7,929,934 CAD |
| Price Per AC | $1,197,875.28 CAD |
| Lot Size | 6.62 AC |
Parcel ID: 57420.0010-9 Fully Entitled Multifamily Site
1 of 3
Videos
Matterport 3D Exterior
Matterport 3D Tour
Photos
Street View
Street
Map
