Log In/Sign Up
Your email has been sent.
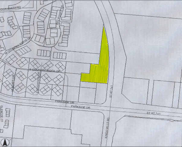
5524 Parkside Dr - B-3 Zoned Acreage 2.64 Acres of Commercial Land Offered at $1,170,875 CAD in Mason, OH 45040

Investment Highlights
- 800" Frontage on State Rte. 741
Executive Summary
Situated in the heart of Warren County's popular entertainment district that includes Kings Island, The Beach Waterpark, Great Wolf Lodge & Lindner Family Tennis Center.
Across the street from Mason Grand & Villages of Mason, two new residential developments featuring more than 500 units.
Across the street from Mason Grand & Villages of Mason, two new residential developments featuring more than 500 units.
Property Facts
| Price | $1,170,875 CAD | Property Subtype | Commercial |
| Sale Type | Investment | Proposed Use | |
| No. Lots | 1 | Total Lot Size | 2.64 AC |
| Property Type | Land | ||
| Zoning | B-3, Deerfield Twp | ||
| Price | $1,170,875 CAD |
| Sale Type | Investment |
| No. Lots | 1 |
| Property Type | Land |
| Property Subtype | Commercial |
| Proposed Use | |
| Total Lot Size | 2.64 AC |
| Zoning | B-3, Deerfield Twp |
1 Lot Available
Lot
| Price | $1,170,875 CAD | Lot Size | 2.64 AC |
| Price Per AC | $443,513.28 CAD |
| Price | $1,170,875 CAD |
| Price Per AC | $443,513.28 CAD |
| Lot Size | 2.64 AC |
800" Frontage on State Rte. 741 Located in Mason, one of Cincinnati's most affluent communities and home to Mason City Schools, named #11 in the U.S.
Description
Located in Mason, one of Cincinnati's most affluent communities and home to Mason City Schools, named #11 in the U.S.
1 1
Fairly walkable
40/100
Exceptionally drivable
100/100
Fairly bikeable
40/100
Property Taxes
| Parcel Numbers | Improvements Assessment | $0 CAD | |
| Land Assessment | $351,209 CAD | Total Assessment | $351,209 CAD |
Property Taxes
Parcel Numbers
Land Assessment
$351,209 CAD
Improvements Assessment
$0 CAD
Total Assessment
$351,209 CAD
1 of 2
Videos
Matterport 3D Exterior
Matterport 3D Tour
Photos
Street View
Street
Map
1 of 1
Presented by
5524 Parkside Dr - B-3 Zoned Acreage
Already a member? Log In
Hmm, there seems to have been an error sending your message. Please try again.
Thanks! Your message was sent.
