Log In/Sign Up
Your email has been sent.
558 Jedburg Rd - 558/570 Jedburg Road 3.5 Acres of Commercial Land Offered at $1,770,337 CAD in Summerville, SC 29483



EXECUTIVE SUMMARY
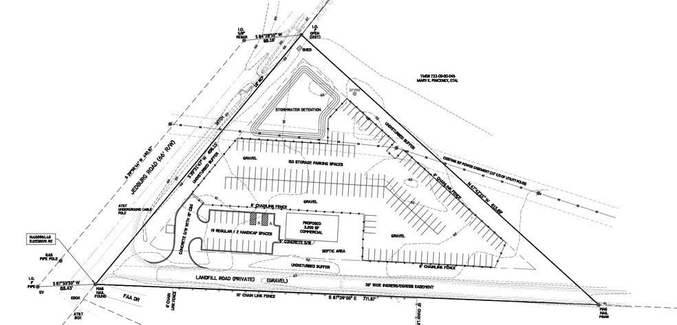
558 Jedburg Rd offers an expansive tract of land that spans 3.5 acres, boasts approximately 152k square feet of undeveloped space and is less than 1 mile from Interstate I-26. This property is zoned for the highly sought after Light Industrial (LI) designation which allows for flexible commercial and industrial activities and a wide range of business endeavors. 558 Jedburg Rd, also referred to as 570 Jedburg Rd, is identified by Tax Map Number (TMS) #722-00-00-044 and falls within Berkeley County. Conceptual plans & surveys etc available upon request.
PROPERTY FACTS
| Price | $1,770,337 CAD | Property Type | Land |
| Sale Type | Investment or Owner User | Property Subtype | Commercial |
| Sale Condition | 1031 Exchange | Proposed Use | Industrial |
| No. Lots | 1 | Total Lot Size | 3.50 AC |
| Zoning | LI - Light Industrial | ||
| Price | $1,770,337 CAD |
| Sale Type | Investment or Owner User |
| Sale Condition | 1031 Exchange |
| No. Lots | 1 |
| Property Type | Land |
| Property Subtype | Commercial |
| Proposed Use | Industrial |
| Total Lot Size | 3.50 AC |
| Zoning | LI - Light Industrial |
1 LOT AVAILABLE
Lot
| Price | $1,770,337 CAD | Lot Size | 3.50 AC |
| Price Per AC | $505,810.71 CAD |
| Price | $1,770,337 CAD |
| Price Per AC | $505,810.71 CAD |
| Lot Size | 3.50 AC |
558 Jedburg Rd * 3.5 Acres * Zoned Light Industrial
1 1
PROPERTY TAXES
| Parcel Number | 722-00-00-044 | Improvements Assessment | $0 CAD |
| Land Assessment | $453,037 CAD | Total Assessment | $453,037 CAD |
PROPERTY TAXES
Parcel Number
722-00-00-044
Land Assessment
$453,037 CAD
Improvements Assessment
$0 CAD
Total Assessment
$453,037 CAD
1 of 10
VIDEOS
MATTERPORT 3D EXTERIOR
MATTERPORT 3D TOUR
PHOTOS
STREET VIEW
STREET
MAP
1 of 1
Presented by
558 Jedburg Rd - 558/570 Jedburg Road
Already a member? Log In
Hmm, there seems to have been an error sending your message. Please try again.
Thanks! Your message was sent.
