Your email has been sent.
Investment Highlights
- Dual compartment sumps and trench drains
- Prime connectivity with easy access
Executive Summary
MUNICIPAL ADDRESS 5605 - 43 Street, Leduc, AB T9E 8C2 LEGAL DESCRIPTION Plan: 1423972; Block: 1; Lots: 4 & 5 ZONING CBO (Commercial Business Orientated) UNIT SIZES Starting from 2,018 sq ft ± & up CEILING HEIGHT 18’ 6” clear ELECTRICAL 100 - 200 amp, 120/208 volt, 3 phase HEATING Radiant tube GRADE LOADING 12’ x 14’ (front) 14’ x 14’ (back) LIGHTING LED INTERNET Telus Fibre Optic SUMPS Dual compartment POSSESSION Phase 1: June 1, 2026 Phase 2: January 2027 SALE PRICE: PHASE 1 $280.00/sq ft PHASE 2 $295.00/sq ft CONDO FEES TBD PROPERTY TAXES TBD LEASE RATES: PHASE 1 $16.00/sq ft (shell) $18.00/sq ft (1 w/c, 1 office built) PHASE 2 $17.00/sq ft (shell) $19.00/sq ft (1 w/c, 1 office built) FENCED COMPOUNDS $250.00/month OPERATING COSTS $4.50/sq ft (est.)
4 Units Available
Unit 101
| Unit Size | 2,018 SF | Condo Use | Industrial |
| Price | $565,040 CAD | Sale Type | Investment or Owner User |
| Price Per SF | $280.00 CAD |
| Unit Size | 2,018 SF |
| Price | $565,040 CAD |
| Price Per SF | $280.00 CAD |
| Condo Use | Industrial |
| Sale Type | Investment or Owner User |
Description
Flexible unit sizes starting at 2,018 sq ft with secured rear yard with two
gated access points. Option to receive units as a shell or with
build-out (including 1 washroom and 1 office).
Sale Notes
Brand-new industrial condos for sale and lease.
Main Photo March 2026
Property overview
Location Jan 2026
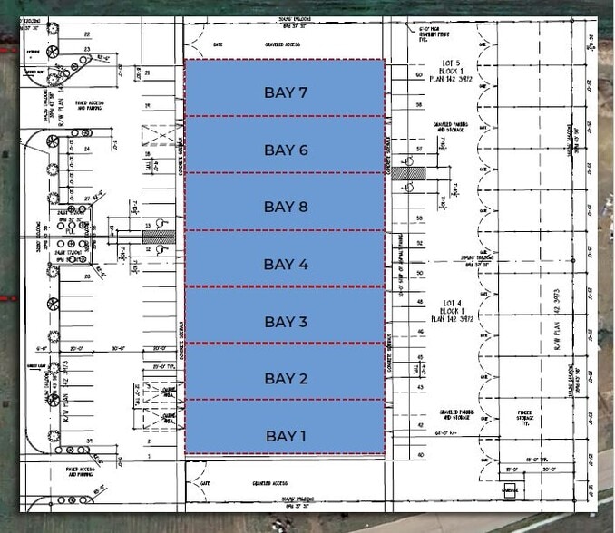
Site Plan
Rear Access_edited
Unit 102
| Unit Size | 2,018 SF | Condo Use | Industrial |
| Price | $565,040 CAD | Sale Type | Investment or Owner User |
| Price Per SF | $280.00 CAD |
| Unit Size | 2,018 SF |
| Price | $565,040 CAD |
| Price Per SF | $280.00 CAD |
| Condo Use | Industrial |
| Sale Type | Investment or Owner User |
Description
Flexible unit sizes starting at 2,018 sq ft with secured rear yard with two
gated access points. Option to receive units as a shell or with
build-out (including 1 washroom and 1 office).
Sale Notes
Brand-new industrial condos for sale and lease.
Main Photo March 2026
Property overview
Location Jan 2026
Site Plan
Unit 201
| Unit Size | 2,018 SF | Condo Use | Industrial |
| Price | $565,040 CAD | Sale Type | Investment or Owner User |
| Price Per SF | $280.00 CAD |
| Unit Size | 2,018 SF |
| Price | $565,040 CAD |
| Price Per SF | $280.00 CAD |
| Condo Use | Industrial |
| Sale Type | Investment or Owner User |
Description
Flexible unit sizes starting at 2,018 sq ft ± with secured rear yard with two gated access points. Option to receive units as a shell or with build-out (including 1 washroom and 1 office).
Sale Notes
Brand-new industrial condos for sale and lease.
Main Photo March 2026
Property overview
Location Jan 2026
Site Plan
Unit 204
| Unit Size | 2,018 SF | Condo Use | Industrial |
| Price | $565,040 CAD | Sale Type | Investment or Owner User |
| Price Per SF | $280.00 CAD |
| Unit Size | 2,018 SF |
| Price | $565,040 CAD |
| Price Per SF | $280.00 CAD |
| Condo Use | Industrial |
| Sale Type | Investment or Owner User |
Description
Flexible unit sizes starting at 2,018 sq ft with secured rear yard with two
gated access points. Option to receive units as a shell or with
build-out (including 1 washroom and 1 office).
Sale Notes
Brand-new industrial condos for sale and lease.
Main Photo March 2026
Property overview
Location Jan 2026
Site Plan
Property Facts
| Total Building Size | 28,380 SF | Floors | 1 |
| Property Type | Industrial | Typical Floor Size | 28,380 SF |
| Property Subtype | Warehouse | Year Built | 2026 |
| Building Class | B | Lot Size | 1.00 AC |
| Zoning | CBO - Commercial Business Orientated | ||
| Total Building Size | 28,380 SF |
| Property Type | Industrial |
| Property Subtype | Warehouse |
| Building Class | B |
| Floors | 1 |
| Typical Floor Size | 28,380 SF |
| Year Built | 2026 |
| Lot Size | 1.00 AC |
| Zoning | CBO - Commercial Business Orientated |
Amenities
- Signage
- Storage Space
- Air Conditioning
Utilities
- Lighting - Fluorescent
- Gas
- Water
- Sewer
- Heating
Presented by
5605 43 St
Hmm, there seems to have been an error sending your message. Please try again.
Thanks! Your message was sent.







