Log In/Sign Up
Your email has been sent.
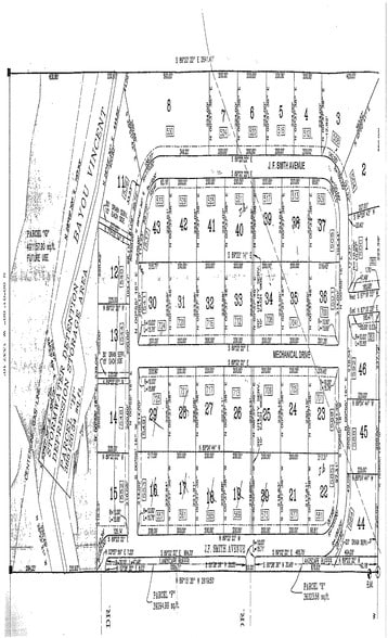
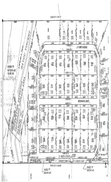
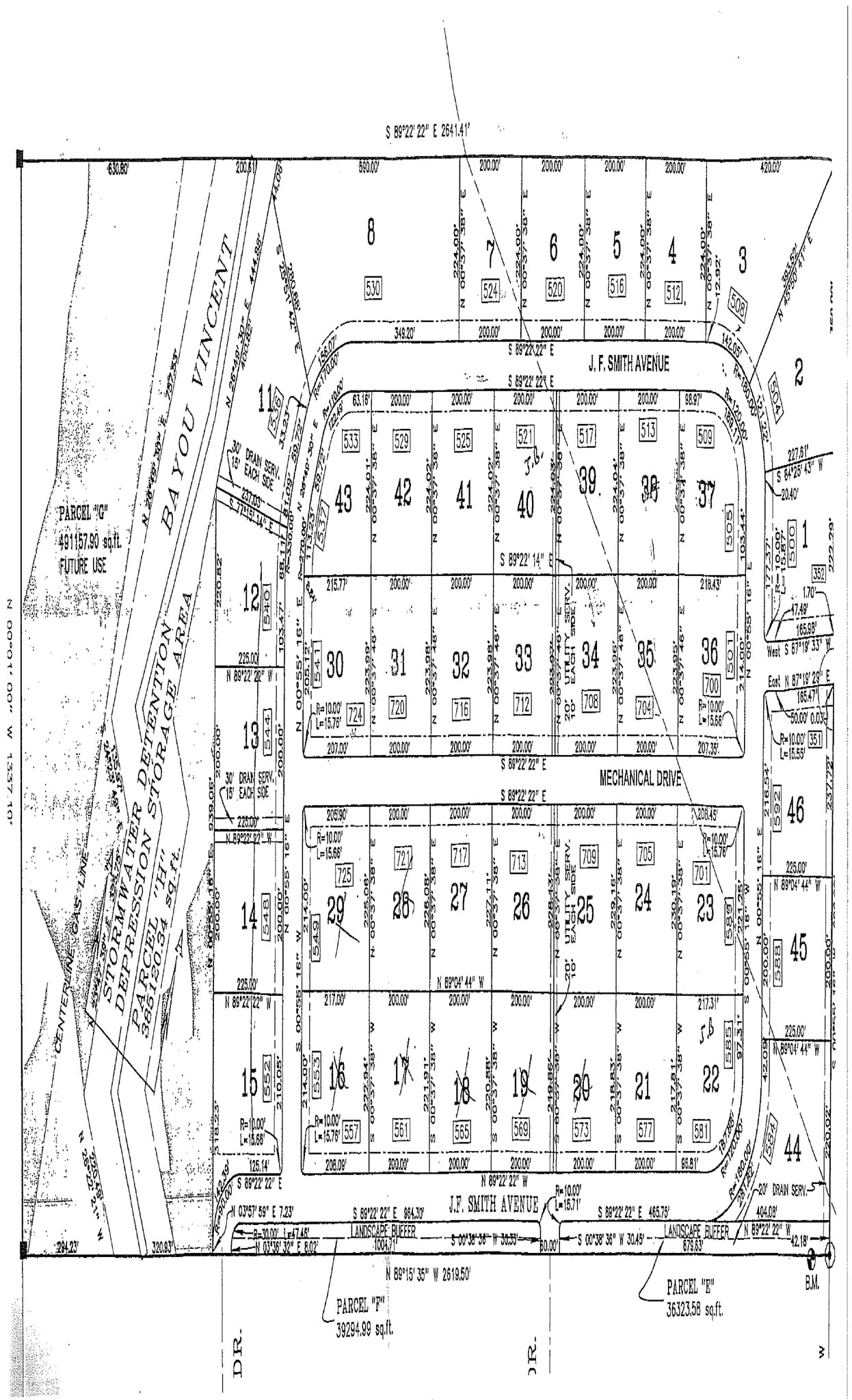
561 J F Smith Ave
Slidell, LA 70460
Johnny F Smith Busin Park Lot 17 · Land For Sale
·
1.00 AC


Investment Highlights
- Existing Companies Surrounding Area
Executive Summary
Johnny Smith Memorial Business Park is Slidell’s premier modern industrial park, strategically located just off I-12 and Highway 11. Designed to stand apart from traditional industrial zones, the park features newly built, state-of-the-art facilities in a highly accessible location.
Property Facts
1 Lot Available
Lot
| Price | $1,385,945 CAD | Lot Size | 1.00 AC |
| Price Per AC | $1,385,945.41 CAD |
| Price | $1,385,945 CAD |
| Price Per AC | $1,385,945.41 CAD |
| Lot Size | 1.00 AC |
1 of 3
Videos
Matterport 3D Exterior
Matterport 3D Tour
Photos
Street View
Street
Map
