Log In/Sign Up
Your email has been sent.
Property Facts
| Sale Type | Investment | Property Subtype | Industrial |
| No. Lots | 1 | Proposed Use | |
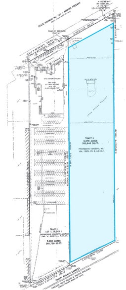
| Property Type | Land | Total Lot Size | 6.93 AC |
| Zoning | M-1 - Light Manufacturing/Industrial | ||
| Sale Type | Investment |
| No. Lots | 1 |
| Property Type | Land |
| Property Subtype | Industrial |
| Proposed Use | |
| Total Lot Size | 6.93 AC |
| Zoning | M-1 - Light Manufacturing/Industrial |
1 Lot Available
Lot
| Lot Size | 6.93 AC |
| Lot Size | 6.93 AC |
6.93 Acres (301,981 SF) Zoned M-1: Light Manufacturing/Industrial Hwy 121/Airport Fwy Frontage 3.8 Miles from Downtown Fort Worth
Description
Hwy 121/Airport Fwy Frontage 3.8 Miles from Downtown Fort Worth
Somewhat walkable
30/100
Exceptionally drivable
100/100
Minimal public transit
10/100
Somewhat bikeable
30/100
Property Taxes
| Parcel Number | 03722031 | Improvements Assessment | $0 CAD |
| Land Assessment | $622,637 CAD | Total Assessment | $622,637 CAD |
Property Taxes
Parcel Number
03722031
Land Assessment
$622,637 CAD
Improvements Assessment
$0 CAD
Total Assessment
$622,637 CAD
1 of 3
Videos
Matterport 3D Exterior
Matterport 3D Tour
Photos
Street View
Street
Map
Presented by
5722 Airport Fwy - 6.93 Acres
Already a member? Log In
Hmm, there seems to have been an error sending your message. Please try again.
Thanks! Your message was sent.



