Log In/Sign Up
Your email has been sent.
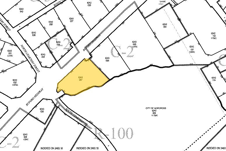
5766 Buford Hwy - C3, Zoned Acreage 0.95 Acres of Commercial Land Offered at $2,756,481 CAD in Norcross, GA 30071



PROPERTY FACTS
1 LOT AVAILABLE
Lot
| Price | $2,756,481 CAD | Lot Size | 0.95 AC |
| Price Per AC | $2,901,558.96 CAD |
| Price | $2,756,481 CAD |
| Price Per AC | $2,901,558.96 CAD |
| Lot Size | 0.95 AC |
200+ feet of frontage on busy Buford highway. Corner lot on Buford Highway and Holcome Bridge Rd. Drainage already complete and retaining wall around the property. Please bring your offer. Motivated seller!
DESCRIPTION
200+ feet of frontage on busy Buford highway. Corner lot on Buford Highway and Holcome Bridge Rd. Drainage already complete and retaining wall around the property. Please bring your offer. Motivated seller!
1 1
Walk Score®
Very Walkable (71)
PROPERTY TAXES
| Parcel Number | 6-243-007 | Improvements Assessment | $0 CAD |
| Land Assessment | $197,187 CAD | Total Assessment | $197,187 CAD |
PROPERTY TAXES
Parcel Number
6-243-007
Land Assessment
$197,187 CAD
Improvements Assessment
$0 CAD
Total Assessment
$197,187 CAD
1 of 21
VIDEOS
MATTERPORT 3D EXTERIOR
MATTERPORT 3D TOUR
PHOTOS
STREET VIEW
STREET
MAP
1 of 1
Presented by
5766 Buford Hwy - C3, Zoned Acreage
Already a member? Log In
Hmm, there seems to have been an error sending your message. Please try again.
Thanks! Your message was sent.
