Your email has been sent.
Investment Highlights
- ±1.03-acre parcel with general commercial zoning.
- 150 feet of frontage along Joshua Palmer Way.
- Located in a growing commercial corridor with nearby national retailers.
- Excellent visibility from I-10 Freeway near Highland Springs exit.
- Utilities available along Joshua Palmer Way for easy development.
- Convenient access to I-10 for regional connectivity.
Executive Summary
Property Facts
| Sale Type | Investment or Owner User | Property Subtype | Commercial |
| No. Lots | 1 | Proposed Use | |
| Property Type | Land | Total Lot Size | 1.03 AC |
| Zoning | GC - General Commercial | ||
| Sale Type | Investment or Owner User |
| No. Lots | 1 |
| Property Type | Land |
| Property Subtype | Commercial |
| Proposed Use | |
| Total Lot Size | 1.03 AC |
| Zoning | GC - General Commercial |
1 Lot Available
Lot
| Lot Size | 1.03 AC |
| Lot Size | 1.03 AC |
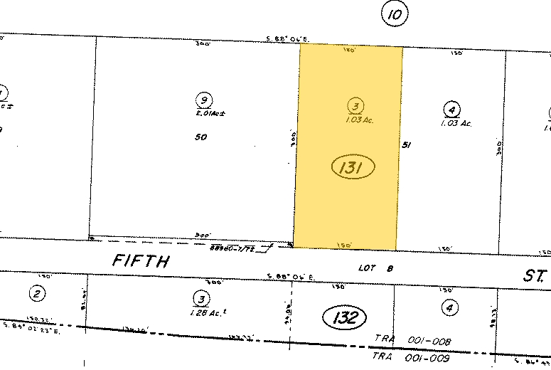
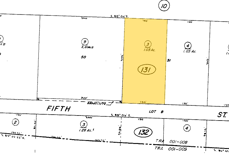
±1.03-acre commercial lot with 150’ frontage on Joshua Palmer Way in Banning, CA. Visible from I-10 and located just east of Highland Springs exit. Utilities available along site.
Description
Located at 5801 Joshua Palmer Way in Banning, CA, this ±1.03-acre parcel is positioned within a highly accessible commercial corridor. The property sits just east of the Highland Springs Road interchange, offering immediate connectivity to the I-10 Freeway, a major east-west transportation route serving Southern California. The site features 150 feet of frontage along Joshua Palmer Way and measures approximately 150 by 300 feet, providing a versatile footprint for development. Zoned for general commercial use, the property accommodates a variety of retail, service, or mixed-use concepts. Utilities are available along the street, supporting efficient project planning. Surrounding the site is a mix of established businesses and national retailers, reinforcing the area’s role as a regional commercial hub. This location offers strong visibility, convenient access, and proximity to key amenities, making it an attractive option for future development.
Property Taxes
| Parcel Number | 419-131-003 | Improvements Assessment | $16,972 CAD |
| Land Assessment | $305,650 CAD | Total Assessment | $322,622 CAD |
Property Taxes
Presented by
5801 Joshua Palmer Way - Vacant Land 1.03 Acres
Hmm, there seems to have been an error sending your message. Please try again.
Thanks! Your message was sent.


