Log In/Sign Up
Your email has been sent.
5801 S State St 5 Acres of Commercial Land Offered at $587,937 CAD in Ann Arbor, MI 48108



INVESTMENT HIGHLIGHTS
- 5 acres
- 2025 Assessed Value: $346,395
- Municipal water and sewer available
- 2025 Annual Taxes: $15,553.68
EXECUTIVE SUMMARY
Prime 5-Acre Commercial Development Opportunity –
Discover an exceptional commercial development opportunity with this 5-acre parcel strategically located in Pittsfield Township, between I-94 and US-12 (Michigan Avenue)—a prime corridor for business growth and accessibility.
Property Highlights:
Zoned: Business District Commercial
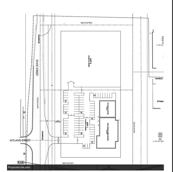
Preliminary Site Plan Completed – Streamline your development process
Ideal Uses: Office, Indoor Recreation, Light Manufacturing, Technology Centers, Office Research, Basic Research, Design, and Pilot or Experimental Product Development
Utilities: Municipal water and sewer available
Excellent Access & Visibility – Positioned between two major highways
This versatile property offers tremendous potential for investors, developers, and businesses looking to establish or expand in a high-demand location.
Seize this rare opportunity to secure a premier commercial site in a thriving economic hub.
Discover an exceptional commercial development opportunity with this 5-acre parcel strategically located in Pittsfield Township, between I-94 and US-12 (Michigan Avenue)—a prime corridor for business growth and accessibility.
Property Highlights:
Zoned: Business District Commercial
Preliminary Site Plan Completed – Streamline your development process
Ideal Uses: Office, Indoor Recreation, Light Manufacturing, Technology Centers, Office Research, Basic Research, Design, and Pilot or Experimental Product Development
Utilities: Municipal water and sewer available
Excellent Access & Visibility – Positioned between two major highways
This versatile property offers tremendous potential for investors, developers, and businesses looking to establish or expand in a high-demand location.
Seize this rare opportunity to secure a premier commercial site in a thriving economic hub.
FINANCIAL SUMMARY (ACTUAL - 2025) Click Here to Access |
ANNUAL (CAD) | ANNUAL PER AC (CAD) |
|---|---|---|
| Taxes |
$99,999
|
$9.99
|
| Operating Expenses |
-
|
-
|
| Total Expenses |
$99,999
|
$9.99
|
FINANCIAL SUMMARY (ACTUAL - 2025) Click Here to Access
| Taxes (CAD) | |
|---|---|
| Annual | $99,999 |
| Annual Per AC | $9.99 |
| Operating Expenses (CAD) | |
|---|---|
| Annual | - |
| Annual Per AC | - |
| Total Expenses (CAD) | |
|---|---|
| Annual | $99,999 |
| Annual Per AC | $9.99 |
PROPERTY FACTS Under Contract
1 LOT AVAILABLE
Lot
| Price | $587,937 CAD | Lot Size | 5.00 AC |
| Price Per AC | $117,587.30 CAD |
| Price | $587,937 CAD |
| Price Per AC | $117,587.30 CAD |
| Lot Size | 5.00 AC |
Prime 5-Acre Commercial Development Opportunity strategically located in Pittsfield Township, between I-94 and US-12 (Michigan Avenue).
DESCRIPTION
286' frontage and 380' depth.
PROPERTY TAXES
| Parcel Number | 12-21-300-012 | Total Assessment | $480,256 CAD |
| Land Assessment | $0 CAD | Annual Taxes | -$1 CAD |
| Improvements Assessment | $0 CAD | Tax Year | 2025 |
PROPERTY TAXES
Parcel Number
12-21-300-012
Land Assessment
$0 CAD
Improvements Assessment
$0 CAD
Total Assessment
$480,256 CAD
Annual Taxes
-$1 CAD
Tax Year
2025
1 of 5
VIDEOS
MATTERPORT 3D EXTERIOR
MATTERPORT 3D TOUR
PHOTOS
STREET VIEW
STREET
MAP
Presented by
5801 S State St
Already a member? Log In
Hmm, there seems to have been an error sending your message. Please try again.
Thanks! Your message was sent.

