Log In/Sign Up
Your email has been sent.
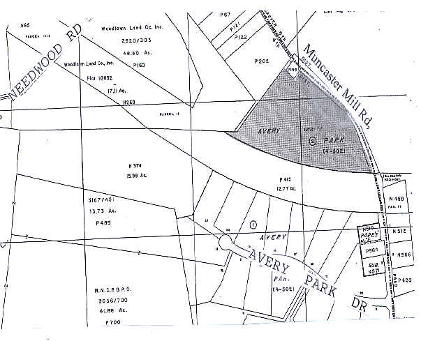
5870 Muncaster Mill Rd - Beth Messiah Congregation 10.13 Acres of Residential Land Offered at $1,349,972 CAD in Rockville, MD 20855



INVESTMENT HIGHLIGHTS
- 5 single family home sites.
EXECUTIVE SUMMARY
Residential Estate-2 Zone
One residence per 2 AC
One residence per 2 AC
PROPERTY FACTS Under Contract
| Price | $1,349,972 CAD | Property Subtype | Residential |
| Sale Type | Investment | Proposed Use | Single Family Development |
| No. Lots | 1 | Total Lot Size | 10.13 AC |
| Property Type | Land | ||
| Zoning | RE-2 | ||
| Price | $1,349,972 CAD |
| Sale Type | Investment |
| No. Lots | 1 |
| Property Type | Land |
| Property Subtype | Residential |
| Proposed Use | Single Family Development |
| Total Lot Size | 10.13 AC |
| Zoning | RE-2 |
1 LOT AVAILABLE
Lot
| Price | $1,349,972 CAD | Lot Size | 10.13 AC |
| Price Per AC | $133,264.80 CAD |
| Price | $1,349,972 CAD |
| Price Per AC | $133,264.80 CAD |
| Lot Size | 10.13 AC |
Residential Estate-2 Zone One residence per 2 AC
1 1
PROPERTY TAXES
| Parcel Number | 04-03007268 | Improvements Assessment | $0 CAD |
| Land Assessment | $277,093 CAD | Total Assessment | $277,093 CAD |
PROPERTY TAXES
Parcel Number
04-03007268
Land Assessment
$277,093 CAD
Improvements Assessment
$0 CAD
Total Assessment
$277,093 CAD
1 of 7
VIDEOS
MATTERPORT 3D EXTERIOR
MATTERPORT 3D TOUR
PHOTOS
STREET VIEW
STREET
MAP
1 of 1
Presented by
5870 Muncaster Mill Rd - Beth Messiah Congregation
Already a member? Log In
Hmm, there seems to have been an error sending your message. Please try again.
Thanks! Your message was sent.
