Log In/Sign Up
Your email has been sent.
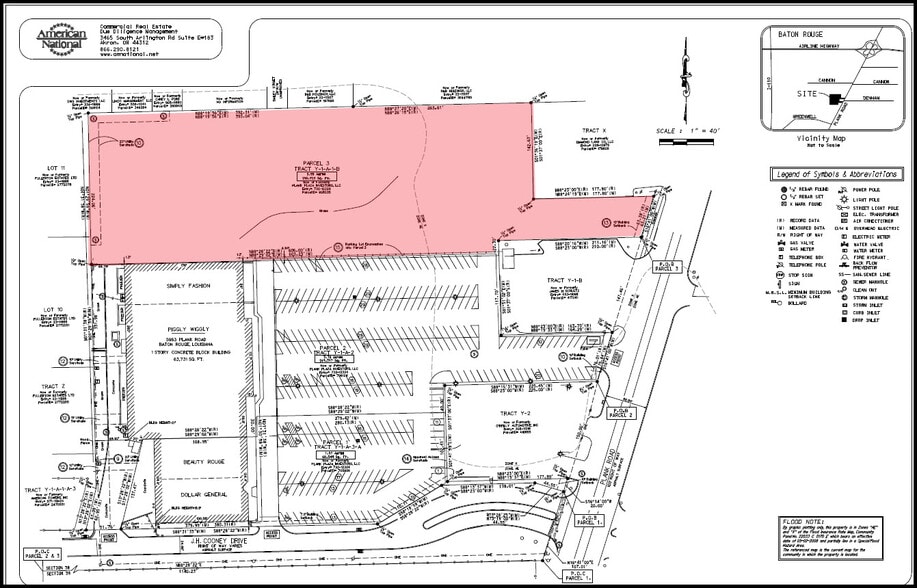
6015 Plank Rd - Plank Plaza 3.59 Acres of Commercial Land Offered at $916,359 CAD in Baton Rouge, LA 70805


Property Facts
| Price | $916,359 CAD | Property Subtype | Commercial |
| Sale Type | Investment | Proposed Use | |
| No. Lots | 1 | Total Lot Size | 3.46 AC |
| Property Type | Land | Opportunity Zone |
Yes
|
| Zoning | C-2 | ||
| Price | $916,359 CAD |
| Sale Type | Investment |
| No. Lots | 1 |
| Property Type | Land |
| Property Subtype | Commercial |
| Proposed Use | |
| Total Lot Size | 3.46 AC |
| Opportunity Zone |
Yes |
| Zoning | C-2 |
1 Lot Available
Lot
| Price | $916,359 CAD | Lot Size | 3.59 AC |
| Price Per AC | $255,253.20 CAD |
| Price | $916,359 CAD |
| Price Per AC | $255,253.20 CAD |
| Lot Size | 3.59 AC |
Description
3.59 acres for sale on well-traveled Plank Road in Baton Rouge. This parcel is on a major thoroughfare near 190 and 110. Join other established businesses in the area like O'Reilly's Auto Parts, McDonald's, and more.
1 1
Fairly walkable
40/100
Exceptionally drivable
100/100
Limited public transit
30/100
Fairly bikeable
40/100
Property Taxes
| Parcel Number | 00926035 | Improvements Assessment | $0 CAD |
| Land Assessment | $38,747 CAD | Total Assessment | $38,747 CAD |
Property Taxes
Parcel Number
00926035
Land Assessment
$38,747 CAD
Improvements Assessment
$0 CAD
Total Assessment
$38,747 CAD
1 of 3
Videos
Matterport 3D Exterior
Matterport 3D Tour
Photos
Street View
Street
Map
1 of 1
Presented by
6015 Plank Rd - Plank Plaza
Already a member? Log In
Hmm, there seems to have been an error sending your message. Please try again.
Thanks! Your message was sent.
