Log In/Sign Up
Your email has been sent.
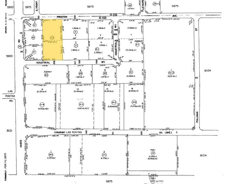
6052 Industrial Way
Livermore, CA 94551
Industrial Property For Lease
·
15,600 SF


Features
Clear Height
24’
Drive In Bays
4
Levelers
4
Standard Parking Spaces
75
Warehouse Facility Facts
Building Size
48,999 SF
Lot Size
2.81 AC
Year Built
1998
Construction
Masonry
Power Supply
Amps: 400 Volts: 277 Phase: 3
1 of 5
Videos
Matterport 3D Exterior
Matterport 3D Tour
Photos
Street View
Street
Map
