Log In/Sign Up
Your email has been sent.
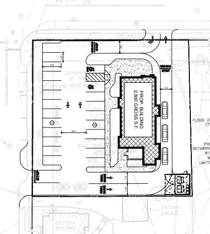
61 Park rd - One Park Pad Site 0.52 Acres of Commercial Land in West Hartford, CT 06119



Investment Highlights
- Prime signalized corner location at Park Road and Ringgold Street in West Hartford, a major gateway between West Hartford and Hartford
- Includes a single-family house, offering interim rental income or a demo opportunity to expand usable land area
- Minutes from West Hartford Center and Blue Back Square, with access to premier shopping, dining, and entertainment
- High visibility and strong traffic counts, ideal for retailers and service-oriented businesses seeking exposure
- Adjacent to the One Park apartment complex, providing built-in residential foot traffic and a consistent customer base
- Close proximity to I-84, offering excellent regional connectivity for commuters and businesses
Executive Summary
Ownership is open to either a ground lease or an outright
sale of this highly visible pad site located at the signalized
corner of Park Road and Ringgold Street in West Hartford.
This prime corner parcel offers exceptional visibility, strong
traffic counts, and direct access to one of the region’s most
established and rapidly growing retail corridors. The site
also benefits from built-in foot traffic generated by the
adjacent One Park apartment complex, providing a built-in
residential customer base. Ideal for quick-service
restaurants, banks, medical, or other retail users seeking a
flagship corner location in a vibrant, walkable neighborhood
with strong demographics and proven tenant performance
nearby.
sale of this highly visible pad site located at the signalized
corner of Park Road and Ringgold Street in West Hartford.
This prime corner parcel offers exceptional visibility, strong
traffic counts, and direct access to one of the region’s most
established and rapidly growing retail corridors. The site
also benefits from built-in foot traffic generated by the
adjacent One Park apartment complex, providing a built-in
residential customer base. Ideal for quick-service
restaurants, banks, medical, or other retail users seeking a
flagship corner location in a vibrant, walkable neighborhood
with strong demographics and proven tenant performance
nearby.
Property Facts
| Sale Type | Investment or Owner User | Property Subtype | Commercial |
| No. Lots | 1 | Total Lot Size | 0.52 AC |
| Property Type | Land |
| Sale Type | Investment or Owner User |
| No. Lots | 1 |
| Property Type | Land |
| Property Subtype | Commercial |
| Total Lot Size | 0.52 AC |
1 Lot Available
Lot
| Lot Size | 0.52 AC |
| Lot Size | 0.52 AC |
1 1
Walk Score®
Very Walkable (87)
1 of 5
Videos
Matterport 3D Exterior
Matterport 3D Tour
Photos
Street View
Street
Map
1 of 1
Presented by
61 Park rd - One Park Pad Site
Already a member? Log In
Hmm, there seems to have been an error sending your message. Please try again.
Thanks! Your message was sent.
