Log In/Sign Up
Your email has been sent.
615 May St
Lansing, MI 48906
Industrial Property For Lease
·
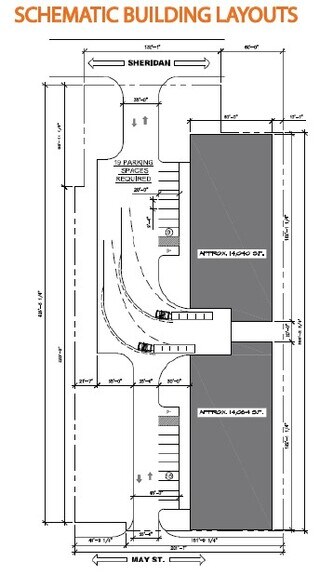
24,000 SF


Highlights
- Build to Suit Industrial Building
Features
Clear Height
20’
Standard Parking Spaces
19
Property Overview
BUILD TO SUIT OPPORTUNITY!! 615 S May Street, Lansing MI 48912: - For Lease - 1 Mile From I-496 - Build to Suit Industrial Building - Up to 2 Acres - Surface parking - Interior can be built to accommodate tenants needs
Warehouse Facility Facts
Building Size
24,000 SF
Lot Size
0.91 AC
Year Built
2027
Zoning
I HVY - Heavy Industrial
1 of 3
Videos
Matterport 3D Exterior
Matterport 3D Tour
Photos
Street View
Street
Map
