Log In/Sign Up
Your email has been sent.
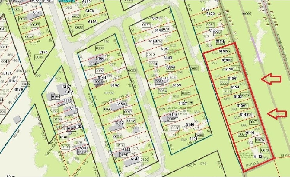
6157 Benvue St 0.1 Acre of Commercial Land Offered at $12,398 - $13,637 CAD Per Lot in Cincinnati, OH 45233

Executive Summary
One of 10 riverview lots in a row at the end of a quiet wooded Cul-de-sac. Perfect for townhomes or condo's or a private house. Come Look
Property Facts
| Price | $12,398 - $112,817 CAD | Property Subtype | Commercial |
| Sale Type | Investment | Proposed Use | |
| No. Lots | 9 | Total Lot Size | 0.90 AC |
| Property Type | Land | ||
| Zoning | Single Family Residential | ||
| Price | $12,398 - $112,817 CAD |
| Sale Type | Investment |
| No. Lots | 9 |
| Property Type | Land |
| Property Subtype | Commercial |
| Proposed Use | |
| Total Lot Size | 0.90 AC |
| Zoning | Single Family Residential |
9 Lots Available
Lot 1
| Price | $13,637 CAD | Lot Size | 0.10 AC |
| Price Per AC | $136,372.51 CAD |
| Price | $13,637 CAD |
| Price Per AC | $136,372.51 CAD |
| Lot Size | 0.10 AC |
Lot 2
| Price | $12,398 CAD | Lot Size | 0.10 AC |
| Price Per AC | $123,975.01 CAD |
| Price | $12,398 CAD |
| Price Per AC | $123,975.01 CAD |
| Lot Size | 0.10 AC |
Lot 3
| Price | $12,398 CAD | Lot Size | 0.10 AC |
| Price Per AC | $123,975.01 CAD |
| Price | $12,398 CAD |
| Price Per AC | $123,975.01 CAD |
| Lot Size | 0.10 AC |
Lot 4
| Price | $12,398 CAD | Lot Size | 0.10 AC |
| Price Per AC | $123,975.01 CAD |
| Price | $12,398 CAD |
| Price Per AC | $123,975.01 CAD |
| Lot Size | 0.10 AC |
Lot 5
| Price | $12,398 CAD | Lot Size | 0.10 AC |
| Price Per AC | $123,975.01 CAD |
| Price | $12,398 CAD |
| Price Per AC | $123,975.01 CAD |
| Lot Size | 0.10 AC |
Lot 6
| Price | $12,398 CAD | Lot Size | 0.10 AC |
| Price Per AC | $123,975.01 CAD |
| Price | $12,398 CAD |
| Price Per AC | $123,975.01 CAD |
| Lot Size | 0.10 AC |
Lot 7
| Price | $12,398 CAD | Lot Size | 0.10 AC |
| Price Per AC | $123,975.01 CAD |
| Price | $12,398 CAD |
| Price Per AC | $123,975.01 CAD |
| Lot Size | 0.10 AC |
Lot 8
| Price | $12,398 CAD | Lot Size | 0.10 AC |
| Price Per AC | $123,975.01 CAD |
| Price | $12,398 CAD |
| Price Per AC | $123,975.01 CAD |
| Lot Size | 0.10 AC |
Lot 9
| Price | $12,398 CAD | Lot Size | 0.10 AC |
| Price Per AC | $123,975.01 CAD |
| Price | $12,398 CAD |
| Price Per AC | $123,975.01 CAD |
| Lot Size | 0.10 AC |
1 1
Somewhat walkable
20/100
Very drivable
80/100
Limited public transit
30/100
Somewhat bikeable
30/100
1 of 2
Videos
Matterport 3D Exterior
Matterport 3D Tour
Photos
Street View
Street
Map
1 of 1
Presented by
6157 Benvue St
Already a member? Log In
Hmm, there seems to have been an error sending your message. Please try again.
Thanks! Your message was sent.
