Your email has been sent.
Investment Highlights
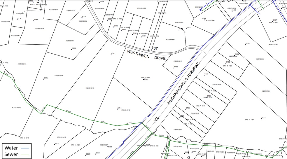
- + 16.44 acre parcel with +/-650’ frontage on Route 360
- + Currently Zoned A-1
- + 43,000 Vehicles Per Day (Mechanicsville Turnpike)
- + Comp planned for Residential and Commercial uses
- + Multiple Townhome and Apartments under development nearby, New Public High School and Middle Schools planned less than 2 miles east of site
- + Numerous access points on Mechanicsville Turnpike and Westhaven Drive
Executive Summary
+ 16.44 acre parcel with +/-650’ frontage on Route 360
+ Comp planned for Residential and Commercial uses
+ Currently Zoned A-1
+ Multiple Townhome and Apartments under development nearby
+ New Public High School and Middle Schools planned less than 2 miles east of site
+ 43,000 Vehicles Per Day (Mechanicsville Turnpike)
+ Numerous access points on Mechanicsville Turnpike and Westhaven Drive
+ Utilities (water, sewer, electric) on-site
+ Adjacent to new Sam’s Xpress Car Wash and Exxon Station
Property Facts
1 Lot Available
Lot
| Lot Size | 16.44 AC |
| Lot Size | 16.44 AC |
+ BACK ON THE MARKET + 16.44 acre parcel with frontage on Route 360 + Comp planned for Residential and Commercial uses + Currently Zoned A-1
Description
+ 16.44 acre parcel with +/-650’ frontage on Route 360 + Comp planned for Residential and Commercial uses + Currently Zoned A-1 + Multiple Townhome and Apartments under development nearby + New Public High School and Middle Schools planned less than 2 miles east of site + 43,000 Vehicles Per Day (Mechanicsville Turnpike) + Numerous access points on Mechanicsville Turnpike and Westhaven Drive + Utilities (water, sewer, electric) on-site + Adjacent to new Sam’s Xpress Car Wash and Exxon Station
Property Taxes
| Parcel Numbers | Improvements Assessment | $675,122 CAD | |
| Land Assessment | $349,600 CAD | Total Assessment | $1,024,721 CAD |
Property Taxes
Presented by
6200 Mechanicsville Tpke
Hmm, there seems to have been an error sending your message. Please try again.
Thanks! Your message was sent.




