Log In/Sign Up
Your email has been sent.
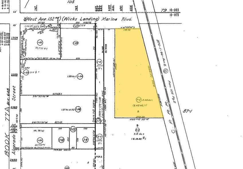
635 Marina Blvd 2.4 Acres of Commercial Land in San Leandro, CA 94577



PROPERTY FACTS
1 LOT AVAILABLE
Lot
| Lot Size | 2.40 AC |
| Lot Size | 2.40 AC |
2.4 Acres of Land. Pre-existing Building has been demolished. Prime Industrial Zoned Land with Major Street Frontage for Development along San Leandro’s Auto Row.
Walk Score®
Very Walkable (81)
Bike Score®
Very Bikeable (81)
PROPERTY TAXES
| Parcel Number | 075-0093-007-02 | Improvements Assessment | $0 CAD |
| Land Assessment | $9,035,406 CAD | Total Assessment | $9,035,406 CAD |
PROPERTY TAXES
Parcel Number
075-0093-007-02
Land Assessment
$9,035,406 CAD
Improvements Assessment
$0 CAD
Total Assessment
$9,035,406 CAD
1 of 6
VIDEOS
MATTERPORT 3D EXTERIOR
MATTERPORT 3D TOUR
PHOTOS
STREET VIEW
STREET
MAP
Presented by
635 Marina Blvd
Already a member? Log In
Hmm, there seems to have been an error sending your message. Please try again.
Thanks! Your message was sent.

