Log In/Sign Up
Your email has been sent.
6366 Tupelo Dr 5,110 SF Retail Building Citrus Heights, CA 95621 $2,176,816 CAD ($425.99 CAD/SF)



Investment Highlights
- Freeway frontage with about 350,000 cars a day!
- Freeway signage available
Executive Summary
FREEWAY FRONTAGE
SELLER FINANCING
Owner occupied now.
Availability is negotiable
20 Parking spaced. Stand-alone Building
Alarmed
Roll up Garage door 7Ft
Updated Photos to follow
SELLER FINANCING
Owner occupied now.
Availability is negotiable
20 Parking spaced. Stand-alone Building
Alarmed
Roll up Garage door 7Ft
Updated Photos to follow
Property Facts
Sale Type
Investment or Owner User
Property Type
Retail
Property Subtype
Freestanding
Building Size
5,110 SF
Building Class
C
Year Built
1990
Price
$2,176,816 CAD
Price Per SF
$425.99 CAD
Tenancy
Single
Building Height
1 Story
Building FAR
0.30
Lot Size
0.39 AC
Zoning
SPA
Parking
22 Spaces (4.31 Spaces per 1,000 SF Leased)
Frontage
80’ on Tupelo Dr.
Amenities
- 24 Hour Access
- Freeway Visibility
- Signage
- Wheelchair Accessible
- Air Conditioning
Space Availability
- Space
- Size
- Space Use
- Position
- Available
Call for pricing
| Space | Size | Space Use | Position | Available |
| 1st Floor | 5,110 SF | Retail | - | Now |
1st Floor
| Size |
| 5,110 SF |
| Space Use |
| Retail |
| Position |
| - |
| Available |
| Now |
1st Floor
| Size | 5,110 SF |
| Space Use | Retail |
| Position | - |
| Available | Now |
Call for pricing
Somewhat walkable
20/100
Exceptionally drivable
100/100
Nearby Major Retailers
Property Taxes
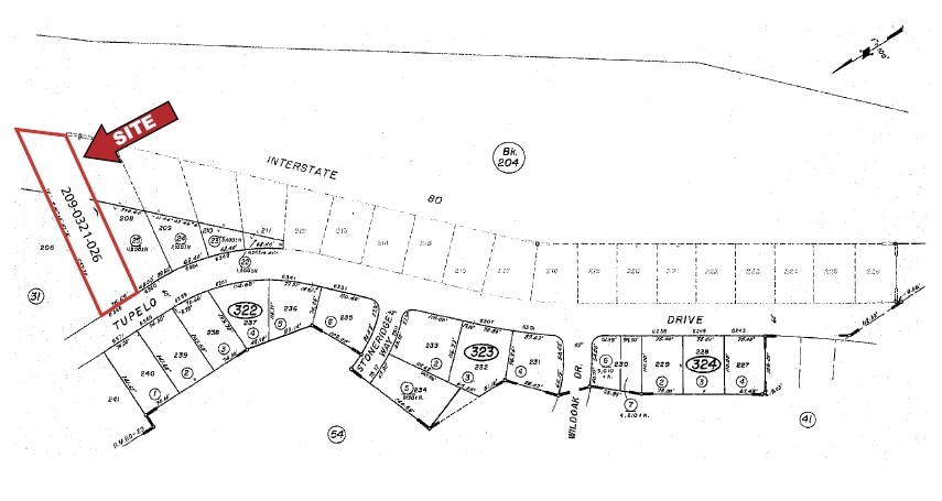
| Parcel Number | 209-0321-026 | Improvements Assessment | $705,575 CAD |
| Land Assessment | $344,383 CAD | Total Assessment | $1,049,959 CAD |
Property Taxes
Parcel Number
209-0321-026
Land Assessment
$344,383 CAD
Improvements Assessment
$705,575 CAD
Total Assessment
$1,049,959 CAD
1 of 7
Videos
Matterport 3D Exterior
Matterport 3D Tour
Photos
Street View
Street
Map
Presented by
Stain Busters
6366 Tupelo Dr
Already a member? Log In
Hmm, there seems to have been an error sending your message. Please try again.
Thanks! Your message was sent.

