Log In/Sign Up
Your email has been sent.
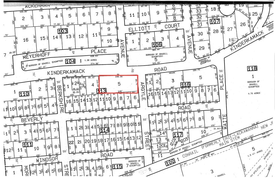
66 Kinderkamack Rd 0.56 Acres of Commercial Land in Oradell, NJ 07649



Property Facts
| Sale Type | Investment | Property Subtype | Commercial |
| Sale Condition | Redevelopment Project | Proposed Use | Commercial |
| No. Lots | 1 | Total Lot Size | 0.56 AC |
| Property Type | Land | ||
| Zoning | B3 - Business, Retail, Professional Office, and Restaurant as a conditional use | ||
| Sale Type | Investment |
| Sale Condition | Redevelopment Project |
| No. Lots | 1 |
| Property Type | Land |
| Property Subtype | Commercial |
| Proposed Use | Commercial |
| Total Lot Size | 0.56 AC |
| Zoning | B3 - Business, Retail, Professional Office, and Restaurant as a conditional use |
1 Lot Available
Lot
| Lot Size | 0.56 AC |
| Lot Size | 0.56 AC |
25,000sf+ parcel with 215ft of frontage and 2 existing curb cuts on Kinderkamack Road.
Description
AVAILABLE: Prime .58AC/25,000+sf parcel available in the heart of densely populated Bergen County on a major cross county thoroughfare with a daily car count of approx 25,000. Convenient to both Routes 4 & 17, and area hospitals. 215ft of frontage and 2 curb cuts on Kinderkamack Road. Zoned for Business, Retail, Professional Office, and Restaurant as a conditional use... Great Development Opportunity!
1 1
Moderately walkable
60/100
Exceptionally drivable
90/100
Some public transit
50/100
Fairly bikeable
40/100
Property Taxes
| Parcel Number | 44-00113-0000-00005 | Improvements Assessment | $0 CAD |
| Land Assessment | $1,744,317 CAD | Total Assessment | $1,744,317 CAD |
Property Taxes
Parcel Number
44-00113-0000-00005
Land Assessment
$1,744,317 CAD
Improvements Assessment
$0 CAD
Total Assessment
$1,744,317 CAD
1 of 7
Videos
Matterport 3D Exterior
Matterport 3D Tour
Photos
Street View
Street
Map
1 of 1
Presented by
A.H. Sauer & Associates, LLC
66 Kinderkamack Rd
Already a member? Log In
Hmm, there seems to have been an error sending your message. Please try again.
Thanks! Your message was sent.
