Log In/Sign Up
Your email has been sent.
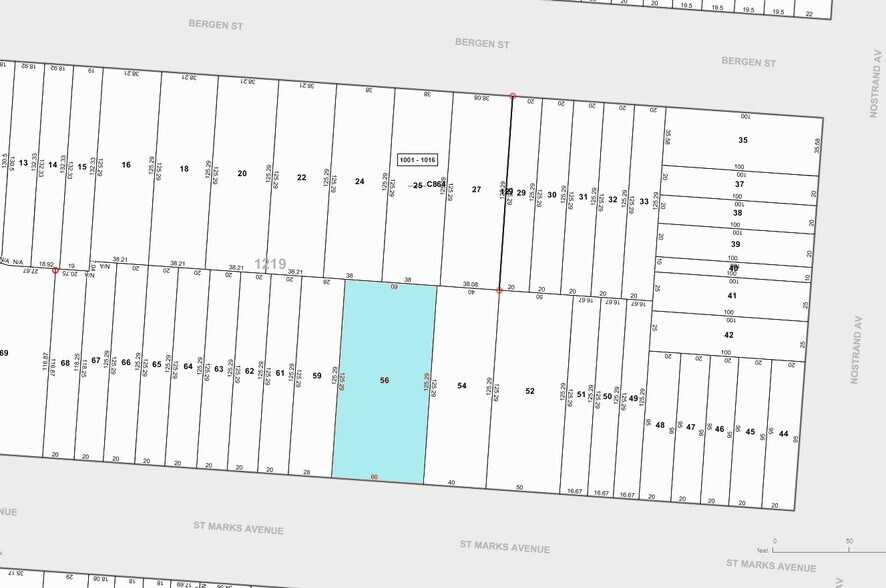
661-665 Saint Marks Ave
Brooklyn, NY 11216
Multifamily Property For Sale
·
21 Units


Investment Highlights
- Prime Location: Located in the desirable Crown Heights neighborhood, surrounded by thriving retail, dining, and cultural hotspots, with easy access to
- Well-Maintained Asset: Elevator building with a robust maintenance history, including a focus on operational efficiency and tenant satisfaction.
- Area Growth: Located amidst ongoing residential and commercial development projects, signaling strong market appreciation and increased rental demand.
- Diverse Unit Mix: 21 residential units, including 1- and 2-bedroom apartments, with a balanced mix of rent-stabilized and free-market leases, ensuring
- Redevelopment Potential: R6B zoning offers flexibility for future redevelopment or additional units to maximize the site’s value.
Executive Summary
665 St. Marks Avenue - A Premier Crown Heights Opportunity
Nestled in the heart of Crown Heights, Brooklyn, 665 St. Marks Avenue is a unique investment opportunity offering modern urban living within a historic neighborhood. This meticulously maintained 5-story, 21-unit elevator apartment building boasts a blend of classic architectural charm and contemporary amenities, making it highly appealing to both tenants and investors.
Situated on a 7,515-square-foot lot with a gross building area of 17,790 square feet, this property offers spacious layouts, a stable tenant base, and significant income-generating potential. The property’s strategic location between Nostrand and Rogers Avenues provides residents with convenient access to public transportation, local dining, and vibrant cultural experiences. Zoned R6B, it presents long-term growth and redevelopment potential in a thriving market.
Nestled in the heart of Crown Heights, Brooklyn, 665 St. Marks Avenue is a unique investment opportunity offering modern urban living within a historic neighborhood. This meticulously maintained 5-story, 21-unit elevator apartment building boasts a blend of classic architectural charm and contemporary amenities, making it highly appealing to both tenants and investors.
Situated on a 7,515-square-foot lot with a gross building area of 17,790 square feet, this property offers spacious layouts, a stable tenant base, and significant income-generating potential. The property’s strategic location between Nostrand and Rogers Avenues provides residents with convenient access to public transportation, local dining, and vibrant cultural experiences. Zoned R6B, it presents long-term growth and redevelopment potential in a thriving market.
Property Facts Under Contract
| Price Per Unit | $255,245 CAD | Building Class | C |
| Sale Type | Investment | Lot Size | 0.17 AC |
| No. Units | 21 | Building Size | 17,790 SF |
| Property Type | Multifamily | No. Stories | 5 |
| Property Subtype | Apartment | Year Built | 1900 |
| Apartment Style | Mid-Rise | ||
| Zoning | R6, Brooklyn (D9) - a medium-density residential zoning district | ||
| Price Per Unit | $255,245 CAD |
| Sale Type | Investment |
| No. Units | 21 |
| Property Type | Multifamily |
| Property Subtype | Apartment |
| Apartment Style | Mid-Rise |
| Building Class | C |
| Lot Size | 0.17 AC |
| Building Size | 17,790 SF |
| No. Stories | 5 |
| Year Built | 1900 |
| Zoning | R6, Brooklyn (D9) - a medium-density residential zoning district |
Amenities
Unit Amenities
- Tub/Shower
Unit Mix Information
| Description | No. Units | Avg. Rent/Mo | SF |
|---|---|---|---|
| 1+1 | 21 | - | 720 |
Property Taxes
| Parcel Number | 01219-0056 | Improvements Assessment | $1,103,620 CAD |
| Land Assessment | $138,414 CAD | Total Assessment | $1,242,033 CAD |
Property Taxes
Parcel Number
01219-0056
Land Assessment
$138,414 CAD
Improvements Assessment
$1,103,620 CAD
Total Assessment
$1,242,033 CAD
1 of 23
Videos
Matterport 3D Exterior
Matterport 3D Tour
Photos
Street View
Street
Map
