Log In/Sign Up
Your email has been sent.
INVESTMENT HIGHLIGHTS
- 63,000 vehicles per day on I-35
- U-turns at both intersections with immediate entrance and exit ramps on I-35
- Electricity on-site; water and sanitary at southwest corner
- Access to Highway Business 77/I-35 intersection
- In the City of Lacy Lakeview and City of Waco ETJ
- Additional land available on south side - 32.19 acres
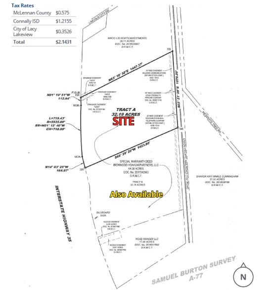
EXECUTIVE SUMMARY
32.19 Acres available on the east line of I-35, just south of Lincoln City Road and 7+ miles north of Downtown Waco. The site is a good Commercial/Light industrial development opportunity with interstate frontage and access. Additional land available on the south side - 32.19 acres.
PROPERTY FACTS
1 LOT AVAILABLE
Lot
| Lot Size | 32.19 AC |
| Lot Size | 32.19 AC |
Contact broker for pricing.
1 of 6
VIDEOS
MATTERPORT 3D EXTERIOR
MATTERPORT 3D TOUR
PHOTOS
STREET VIEW
STREET
MAP
Presented by
6650 Interstate 35
Already a member? Log In
Hmm, there seems to have been an error sending your message. Please try again.
Thanks! Your message was sent.




