Your email has been sent.
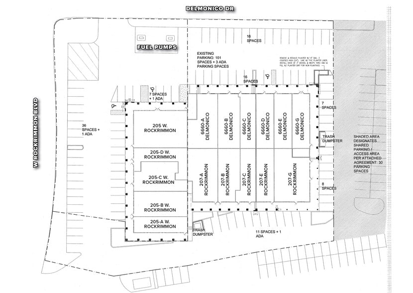
Delmonico Square 6660 Delmonico Dr 23,662 SF 100% Leased Retail Building Colorado Springs, CO 80919 $9,839,253 CAD ($415.83 CAD/SF) 7.05% Cap Rate



Investment Highlights
- Fully leased asset with Total net rents of $502,751 as of March 1, 2026
- Stable long-term tenant base with market upside
- Annual rent escalations, driving NOI growth!
- Well maintained property
- Exterior facade remodel in 2018
- 100% Leased NNN Asset
Executive Summary
The center is anchored by a mix of established service-based and retail tenants that cater to the daily needs of the surrounding population, contributing to low vacancy and consistent cash flow. With limited new retail development in the area and rising barriers to entry, this property presents a rare opportunity to acquire a stable, income-producing asset in a supply-constrained submarket.
100% Leased NNN Asset
Annual Escalations
Stable In-Place Income
Property Facts
Major Tenants
- Tenant
- Industry
- SF Occupied
- Rent/SF
- Lease Type
- Lease End
American Family Insurance began in 1927 when Herman Wittwer founded Farmers Mutual Automobile Insurance Company in Madison, Wisconsin. Initially serving farmers with auto insurance, the company expanded its offerings and customer base over the decades. By 1963, it became American Family Mutual Insurance Company, reflecting its broader market reach. Today, it provides homeowners, auto, life, business, and farm insurance through independent agents and online channels. The company operates in 19 states and has numerous subsidiaries that support its diverse insurance products and services.
- Cms Environmental Solutions
- Services
- -
- -
- -
- -
- Digital Spectra
- Information
- -
- -
- -
- -
Dunkin, formerly known as Dunkin’ Donuts, is a global quick-service restaurant brand headquartered in Canton, Massachusetts. Founded in 1950 by William Rosenberg in Quincy, Massachusetts, Dunkin specializes in coffee, baked goods, and breakfast sandwiches. The company operates under a 100% franchise model and is part of Inspire Brands, a privately held restaurant group. Dunkin has grown into one of the largest coffee and baked goods chains worldwide, serving millions of customers daily. Its menu includes hot and iced coffee, espresso beverages, donuts, bagels, and other breakfast items. Dunkin rebranded in 2019 to emphasize its beverage-led strategy while maintaining its iconic donut offerings. Today, the brand operates over 12,000 locations in more than 40 countries, including approximately 9,800 stores in the United States.
- Happy Hour Donuts, LLC
- -
- -
- -
- Triple Net
- -
- Matt Fitzpatrick Insurance Agency, Inc.
- Finance and Insurance
- -
- -
- Triple Net
- -
“To provide qualified patients with a confidential, safe, and reliable source of natural medical products and support services.”
Subway began in 1965 when Fred DeLuca and Peter Buck opened a submarine sandwich shop in Connecticut with a small investment and a handshake. The company grew through franchising and developed from a local sandwich shop into a global restaurant brand serving freshly made sandwiches at a value-oriented price point. Subway’s menu centers on submarine sandwiches and wraps, with additional offerings that include salads, cookies, soft drinks, and selected pizza items at some locations. The business operates through a large franchise network and maintains a significant presence across international markets while continuing to emphasize convenient, customizable meals.
The UPS Store began as Mail Boxes Etc., introduced in 1980 as a convenient alternative to the post office, and the brand was later reintroduced after UPS acquired Mail Boxes Etc. and brought the network under The UPS Store name. The company operates as a locally owned franchise system that provides shipping and packaging, printing, mailbox services, package notifications and direct mail support for individuals and small businesses. Store-level pricing, services and hours vary by location, and the network is structured around independently owned and operated franchise locations serving retail shipping and broader business-service needs. The business has remained focused on combining consumer shipping with practical small-business support, which has helped position the brand within the wider retail shipping and business services market.
Since opening our doors in 1994, we have proudly served the Colorado Springs community, enriching the lives of thousands of students. With three locations throughout the city, we offer convenient, high-quality martial arts training for children, teens, adults, and families. At United States Karate Academy, we are more than just a martial arts school — we are a family dedicated to helping you and your loved ones become the best versions of yourselves. Our mission is to empower students of all ages by instilling values that go beyond the dojo, such as discipline, respect, confidence, and self-defense. We believe that martial arts is a lifelong journey that not only strengthens the body but sharpens the mind and nurtures the spirit. Whether you are 4 or 74, our programs are designed to meet you where you are and help you grow physically, mentally, and emotionally.
| Tenant | Industry | SF Occupied | Rent/SF | Lease Type | Lease End | |
|
Finance and Insurance | - | - | - | - | |
| Cms Environmental Solutions | Services | - | - | - | - | |
| Digital Spectra | Information | - | - | - | - | |
|
Retailer | - | - | - | - | |
| Happy Hour Donuts, LLC | - | - | - | Triple Net | - | |
| Matt Fitzpatrick Insurance Agency, Inc. | Finance and Insurance | - | - | Triple Net | - | |
|
Retailer | - | - | - | - | |
|
Accommodation and Food Services | - | - | - | - | |
|
Administrative and Support Services | - | - | - | - | |
|
Arts, Entertainment, and Recreation | - | - | - | - |
Nearby Major Retailers
Property Taxes
| Parcel Numbers | Improvements Assessment | $0 CAD | |
| Land Assessment | $0 CAD | Total Assessment | $1,730,712 CAD |
Property Taxes
Presented by
Delmonico Square | 6660 Delmonico Dr
Hmm, there seems to have been an error sending your message. Please try again.
Thanks! Your message was sent.

