Log In/Sign Up
Your email has been sent.
6740 Mission St 1,745 SF Office Building Daly City, CA 94014 For Sale



Executive Summary
6740 Mission St, Daly City, CA 94014
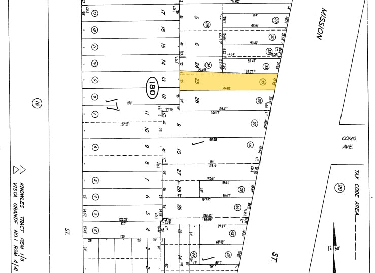
6746–6748 Mission St, Daly City, CA 94014 (Lots 25 & 26)
The two parcels can be sold together as a combined development opportunity. The property comes with existing plans for a mixed-use building, offering strong potential for residential and commercial development.
Located on Mission Street with excellent visibility and accessibility, this is an ideal opportunity for developers or investors seeking a prime infill project in Daly City.
Please call Maymar 415-867-4500 for more information
6746–6748 Mission St, Daly City, CA 94014 (Lots 25 & 26)
The two parcels can be sold together as a combined development opportunity. The property comes with existing plans for a mixed-use building, offering strong potential for residential and commercial development.
Located on Mission Street with excellent visibility and accessibility, this is an ideal opportunity for developers or investors seeking a prime infill project in Daly City.
Please call Maymar 415-867-4500 for more information
Property Facts
Sale Type
Investment or Owner User
Sale Condition
Redevelopment Project
Property Type
Office
Property Subtype
Medical
Building Size
1,745 SF
Building Class
C
Year Built
1907
Tenancy
Single
Building Height
1 Story
Typical Floor Size
1,745 SF
Building FAR
0.44
Lot Size
0.09 AC
Zoning
CR
Parking
20 Spaces (10 Spaces per 1,000 SF Leased)
Amenities
- Bus Line
Major Tenants
- Tenant
- Industry
- SF Occupied
- Rent/SF
- Lease End
- William and Ruby Ong Revocable Living Trust
- -
- -
- -
- -
- William Ong Inc
- Health Care and Social Assistance
- -
- -
- -
| Tenant | Industry | SF Occupied | Rent/SF | Lease End | ||
| William and Ruby Ong Revocable Living Trust | - | - | - | - | ||
| William Ong Inc | Health Care and Social Assistance | - | - | - |
1 1
Fairly walkable
50/100
Exceptionally drivable
100/100
Exceptional public transit
90/100
Fairly bikeable
50/100
Property Taxes
| Parcel Number | 003-180-350 | Improvements Assessment | $195,168 CAD |
| Land Assessment | $1,261,316 CAD | Total Assessment | $1,456,484 CAD |
Property Taxes
Parcel Number
003-180-350
Land Assessment
$1,261,316 CAD
Improvements Assessment
$195,168 CAD
Total Assessment
$1,456,484 CAD
1 of 5
Videos
Matterport 3D Exterior
Matterport 3D Tour
Photos
Street View
Street
Map
1 of 1
Presented by
Company Not Provided
6740 Mission St
Already a member? Log In
Hmm, there seems to have been an error sending your message. Please try again.
Thanks! Your message was sent.
