Log In/Sign Up
Your email has been sent.
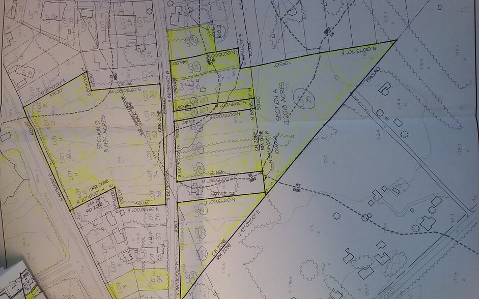
6845 Hungerford Rd 20.32 Acres of Commercial Land Offered at $1,370,566 CAD in Bryans Road, MD 20616



INVESTMENT HIGHLIGHTS
- Located between Indian Head Highway and Hungerford Subdivision.
- Lots are ready to be developed.
EXECUTIVE SUMMARY
PRICED TO SELL. APPRAISED AT $1.4 MILLION. "ESTATE SALE". 3 Commercial Lots Ready to be developed comprised of 8.28 Acres, 1-3 acre developed. 11.24 Mixed Commercial project available for multiple users; and .80 Acres.
Indian Head Highway to Hungerford Subdivision.
Indian Head Highway to Hungerford Subdivision.
PROPERTY FACTS
| Price | $1,370,566 CAD | Property Subtype | Commercial |
| Sale Type | Owner User | Total Lot Size | 20.32 AC |
| No. Lots | 1 | No. Stories | 1 |
| Property Type | Land | ||
| Zoning | CRR C, CB RM, CB - In the CRR zone, any development that includes residential uses must be on a property of at least two acres | ||
| Price | $1,370,566 CAD |
| Sale Type | Owner User |
| No. Lots | 1 |
| Property Type | Land |
| Property Subtype | Commercial |
| Total Lot Size | 20.32 AC |
| No. Stories | 1 |
| Zoning | CRR C, CB RM, CB - In the CRR zone, any development that includes residential uses must be on a property of at least two acres |
1 LOT AVAILABLE
Lot
| Price | $1,370,566 CAD | Lot Size | 20.32 AC |
| Price Per AC | $67,449.11 CAD |
| Price | $1,370,566 CAD |
| Price Per AC | $67,449.11 CAD |
| Lot Size | 20.32 AC |
PRICED TO SELL! LOTS ARE READY TO DEVELOP!
1 1
PROPERTY TAXES
| Parcel Number | 07-019262 | Improvements Assessment | $52,399 CAD (2025) |
| Land Assessment | $162,545 CAD (2025) | Total Assessment | $214,944 CAD (2025) |
PROPERTY TAXES
Parcel Number
07-019262
Land Assessment
$162,545 CAD (2025)
Improvements Assessment
$52,399 CAD (2025)
Total Assessment
$214,944 CAD (2025)
1 of 4
VIDEOS
MATTERPORT 3D EXTERIOR
MATTERPORT 3D TOUR
PHOTOS
STREET VIEW
STREET
MAP
1 of 1
Presented by
6845 Hungerford Rd
Already a member? Log In
Hmm, there seems to have been an error sending your message. Please try again.
Thanks! Your message was sent.
