Log In/Sign Up
Your email has been sent.
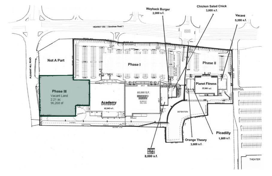
6890 Pleasant Hill Rd
Olive Branch, MS 38654
Land For Sale
·
2.21 AC


Investment Highlights
- Prime location with decent traffic counts
Executive Summary
Join area retailers Target, Academy Sports, Hobby Lobby, Home Goods, TJMaxx, Michaels, Ross, and more. Signalized intersection at Pleasant Hill Road provides excellent ingress/egress to the site.
Property Facts
1 Lot Available
Lot
| Price | $2,466,168 CAD | Lot Size | 2.21 AC |
| Price Per AC | $1,115,912.93 CAD |
| Price | $2,466,168 CAD |
| Price Per AC | $1,115,912.93 CAD |
| Lot Size | 2.21 AC |
Located on Highway 302 with over 37,000 VPD, this 2.2 acre parcel provides opportunity for a Big Box development
Description
This 2.2-acre parcel, located on Highway 302 with over 37,000 vehicles per day (VPD), offers prime development potential for a Big Box retail project. The site benefits from a signalized intersection at Pleasant Hill Road, ensuring easy and convenient access for both ingress and egress.
Property Taxes
| Parcel Number | 1077361300000300 | Improvements Assessment | $0 CAD |
| Land Assessment | $159,995 CAD | Total Assessment | $159,995 CAD |
Property Taxes
Parcel Number
1077361300000300
Land Assessment
$159,995 CAD
Improvements Assessment
$0 CAD
Total Assessment
$159,995 CAD
1 of 3
Videos
Matterport 3D Exterior
Matterport 3D Tour
Photos
Street View
Street
Map
