Log In/Sign Up
Your email has been sent.
Investment Highlights
- 4.212 acres available for sale divisible
- Part of a medical campus environment including a 23,185 SF, 3 Story 100% lease Medical Office Building
- Great Visibility Frontage on Harris Parkway which is busy North/South thoroughfare in South Fort Worth market
- Utilities available to the site
- Medical synergy located within the Southwest Hospital District(Baylor, THR, USMD Hospital at Fort Worth)
- Great Accessibility On Harris Parkway close to Bryant Irvin Road, Highway 820 and across from the new Chisholm Trail Parkway (a 27.6-mile toll roa
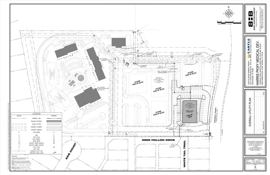
Executive Summary
Chisholm Trail Development is a medical / professional office campus including a 23,000 SF three story medical office building in South Fort Worth. There is 3.58 acres available for sale adjacent to the medical office building. The zoning is E neighborhood commercial. All utilities are to the site with some of the access drives already paved. The site is divisible. Build-to-suit lease opportunities are also available. The property has great visibility and accessibility with frontage on Harris Parkway which is busy North/South thoroughfare in South Fort Worth market. In addition the site is close to and visible from the new Chisholm Trail Parkway(a 27.6-mile toll road that extends from downtown Fort Worth south to Cleburne). This development is surrounded by strong residential demographics and future medical developments.
Chisholm Trail Development is a medical / professional office campus including a 23,000 SF three story medical office building in South Fort Worth. There is 4.212 acres available for sale adjacent to the medical office building. The site is divisible. The property has great visibility and accessibility with frontage on Harris Parkway which is busy North/South thoroughfare in South Fort Worth market. In addition the site is close to and visible from the new Chisholm Trail Parkway(a 27.6-mile toll road that extends from downtown Fort Worth south to Cleburne). This development is surrounded by strong residential demographics and future medical developments.
Chisholm Trail Development is a medical / professional office campus including a 23,000 SF three story medical office building in South Fort Worth. There is 4.212 acres available for sale adjacent to the medical office building. The site is divisible. The property has great visibility and accessibility with frontage on Harris Parkway which is busy North/South thoroughfare in South Fort Worth market. In addition the site is close to and visible from the new Chisholm Trail Parkway(a 27.6-mile toll road that extends from downtown Fort Worth south to Cleburne). This development is surrounded by strong residential demographics and future medical developments.
Property Facts
1 Lot Available
Lot
| Lot Size | 3.58 AC |
| Lot Size | 3.58 AC |
There is 3.58 acres available for sale adjacent to the medical office building. The zoning is E neighborhood commercial. All utilities are to the site with some of the access drives already paved.
1 1
1 of 3
Videos
Matterport 3D Exterior
Matterport 3D Tour
Photos
Street View
Street
Map
1 of 1
Presented by
6928 Harris Pky - Chisholm Trail Development
Already a member? Log In
Hmm, there seems to have been an error sending your message. Please try again.
Thanks! Your message was sent.
Your message has been sent!
Activate your LoopNet account now to track properties, get real-time alerts, save time on future inquiries, and more.


