Your email has been sent.
Highlights
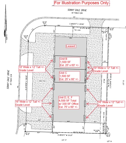
- Unit B: 1,500 SF +/-. Dimensions est. 25' x 60'. Three 10' Wide x 12' Tall +/- Grade Level Doors
- Unit DEF: 4,500 SF +/-.Dimensions est. 75' x 60'. Est. 330 SF Office. Six 16' Wide x 12' Tall +/- Grade Level Doors
- Clear Height Ranges 14' - 17' 8" +/-
- Unit C: 1,500 SF +/-. Dimensions est. 25' x 60'. Three 10' Wide x 12' Tall +/- Grade Level Doors
- Units B, C and DEF are Contiguous. Total of 7,500 SF Available
- Est. $4.00 PSF OPEX
Features
All Available Spaces(3)
Display Rental Rate as
- Space
- Size
- Term
- Rental Rate
- Space Use
- Condition
- Available
Unit B is 1,500 SF +/-. Dimensions are est. 25' wide x 60' deep. There are three 10' wide x 12' tall +/- grade level doors. Concrete flooring throughout interior. Clear height ranges 15' 7" - 17' 8". Unit B (1,500 SF) can be combined with Unit C (1,500 SF) or Unit DEF (4,500 SF). Total of 7,500 SF contiguous.
- Lease rate does not include utilities, property expenses or building services
- Space is in Excellent Condition
- Dimensions est. 25' Wide x 60' Deep.
- Three 10' Wide x 12' Tall +/- Grade Level Doors
- 3 Drive Ins
- Can be combined with additional space(s) for up to 7,500 SF of adjacent space
- Clear Height Ranges 15' 7" - 17' 8" +/-
- Est. $4.00 PSF OPEX
Unit C is 1,500 SF +/-. Dimensions are est. 25' x 60'. Concrete flooring and 15' 7" - 17' 8" clear height. There are three 10' wide x 12' tall +/- grade level doors. Est. $4.00 PSF OPEX. Unit C (1,500 SF) can be combined with Unit B (1,500 SF) or Unit DEF (4,500 SF). Total of 7,500 SF available.
- Lease rate does not include utilities, property expenses or building services
- Space is in Excellent Condition
- Dimensions est. 25' x 60' +/-
- Three 10' Wide x 12' Tall +/- Grade Level Doors
- 3 Drive Ins
- Can be combined with additional space(s) for up to 7,500 SF of adjacent space
- Clear Height Ranges 15' 7" - 17' 8" +/-
- Est. $4.00 PSF OPEX
Unit DEF is 4,500 SF (est. 330 SF office + 4,170 SF warehouse). Dimensions are approximately 75' wide x 60' deep. Concrete flooring and est. 14' clear height throughout. There are six 16' wide x 12' tall +/- grade level doors. Est. $4.00 PSF OPEX. Unit C (1,500 SF) and Unit B (1,500 SF) are also available. Total of 7,500 SF contiguous.
- Lease rate does not include utilities, property expenses or building services
- 6 Drive Ins
- Can be combined with additional space(s) for up to 7,500 SF of adjacent space
- Approximately 330 SF HVAC Office
- Est. $4.00 PSF OPEX
- Includes 330 SF of dedicated office space
- High End Trophy Space
- Dimensions est. 75' Wide x 60' Deep
- Six 16' Wide x 12' Tall +/- Grade Level Doors
| Space | Size | Term | Rental Rate | Space Use | Condition | Available |
| 1st Floor - B | 1,500 SF | Negotiable | $17.12 CAD/SF/YR $1.43 CAD/SF/MO $25,680 CAD/YR $2,140 CAD/MO | Industrial | Full Build-Out | Now |
| 1st Floor - C | 1,500 SF | Negotiable | $17.12 CAD/SF/YR $1.43 CAD/SF/MO $25,680 CAD/YR $2,140 CAD/MO | Industrial | Full Build-Out | Now |
| 1st Floor - DEF | 4,500 SF | Negotiable | $17.12 CAD/SF/YR $1.43 CAD/SF/MO $77,041 CAD/YR $6,420 CAD/MO | Industrial | Full Build-Out | Now |
1st Floor - B
| Size |
| 1,500 SF |
| Term |
| Negotiable |
| Rental Rate |
| $17.12 CAD/SF/YR $1.43 CAD/SF/MO $25,680 CAD/YR $2,140 CAD/MO |
| Space Use |
| Industrial |
| Condition |
| Full Build-Out |
| Available |
| Now |
1st Floor - C
| Size |
| 1,500 SF |
| Term |
| Negotiable |
| Rental Rate |
| $17.12 CAD/SF/YR $1.43 CAD/SF/MO $25,680 CAD/YR $2,140 CAD/MO |
| Space Use |
| Industrial |
| Condition |
| Full Build-Out |
| Available |
| Now |
1st Floor - DEF
| Size |
| 4,500 SF |
| Term |
| Negotiable |
| Rental Rate |
| $17.12 CAD/SF/YR $1.43 CAD/SF/MO $77,041 CAD/YR $6,420 CAD/MO |
| Space Use |
| Industrial |
| Condition |
| Full Build-Out |
| Available |
| Now |
1st Floor - B
| Size | 1,500 SF |
| Term | Negotiable |
| Rental Rate | $17.12 CAD/SF/YR |
| Space Use | Industrial |
| Condition | Full Build-Out |
| Available | Now |
Unit B is 1,500 SF +/-. Dimensions are est. 25' wide x 60' deep. There are three 10' wide x 12' tall +/- grade level doors. Concrete flooring throughout interior. Clear height ranges 15' 7" - 17' 8". Unit B (1,500 SF) can be combined with Unit C (1,500 SF) or Unit DEF (4,500 SF). Total of 7,500 SF contiguous.
- Lease rate does not include utilities, property expenses or building services
- 3 Drive Ins
- Space is in Excellent Condition
- Can be combined with additional space(s) for up to 7,500 SF of adjacent space
- Dimensions est. 25' Wide x 60' Deep.
- Clear Height Ranges 15' 7" - 17' 8" +/-
- Three 10' Wide x 12' Tall +/- Grade Level Doors
- Est. $4.00 PSF OPEX
1st Floor - C
| Size | 1,500 SF |
| Term | Negotiable |
| Rental Rate | $17.12 CAD/SF/YR |
| Space Use | Industrial |
| Condition | Full Build-Out |
| Available | Now |
Unit C is 1,500 SF +/-. Dimensions are est. 25' x 60'. Concrete flooring and 15' 7" - 17' 8" clear height. There are three 10' wide x 12' tall +/- grade level doors. Est. $4.00 PSF OPEX. Unit C (1,500 SF) can be combined with Unit B (1,500 SF) or Unit DEF (4,500 SF). Total of 7,500 SF available.
- Lease rate does not include utilities, property expenses or building services
- 3 Drive Ins
- Space is in Excellent Condition
- Can be combined with additional space(s) for up to 7,500 SF of adjacent space
- Dimensions est. 25' x 60' +/-
- Clear Height Ranges 15' 7" - 17' 8" +/-
- Three 10' Wide x 12' Tall +/- Grade Level Doors
- Est. $4.00 PSF OPEX
1st Floor - DEF
| Size | 4,500 SF |
| Term | Negotiable |
| Rental Rate | $17.12 CAD/SF/YR |
| Space Use | Industrial |
| Condition | Full Build-Out |
| Available | Now |
Unit DEF is 4,500 SF (est. 330 SF office + 4,170 SF warehouse). Dimensions are approximately 75' wide x 60' deep. Concrete flooring and est. 14' clear height throughout. There are six 16' wide x 12' tall +/- grade level doors. Est. $4.00 PSF OPEX. Unit C (1,500 SF) and Unit B (1,500 SF) are also available. Total of 7,500 SF contiguous.
- Lease rate does not include utilities, property expenses or building services
- Includes 330 SF of dedicated office space
- 6 Drive Ins
- High End Trophy Space
- Can be combined with additional space(s) for up to 7,500 SF of adjacent space
- Dimensions est. 75' Wide x 60' Deep
- Approximately 330 SF HVAC Office
- Six 16' Wide x 12' Tall +/- Grade Level Doors
- Est. $4.00 PSF OPEX
Property Overview
• Unit B: 1,500 SF +/- (25' x 60' +/-), 3 OHD's +/- 10' W x 12' H. • Unit C: 1,500 SF +/- (25' x 60' +/-), 3 OHD's +/- 10' W x 12' H. • Unit DEF: 4,500 SF +/- (75' x 60' +/-), 330 SF Office, 6 OHD's +/- 16' W x 12' H. • Clear Height Ranges 14' - 17' 8" +/-. • Fenced/Paved Concrete Parking or Storage Behind Building. • City Water/Sewer, FPL Electric, Piped Underground Natural Gas on Sonny Dale. • Recent Upgrades: New Roof, Exterior Paint, Fence & More! • Est. $4.00 PSF OPEX (Includes Water/Sewer & Dumpster). • Just off of Nasa Boulevard which is the direct connector from Interstate 95 to the Melbourne International Airport. Easy access to Wickham Road, Ellis Road and US1. Nearby employers include Northrop Grumman, L3Harris, Embraer, DRS. Local amenities include restaurants, daycare, healthcare and schools. Call today for details!
Warehouse Facility Facts
Presented by
6945 Sonny Dale Dr
Hmm, there seems to have been an error sending your message. Please try again.
Thanks! Your message was sent.











