Log In/Sign Up
Your email has been sent.
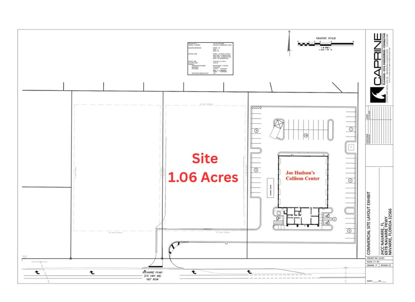
6978 Navarre Parkway
Navarre, FL 32566
Land For Sale
·
1.06 AC


Investment Highlights
- Navarre Parkway (Hwy 98) VPD: 37,500
- Utilities available to the site
- 153 feet of direct frontage on Navarre Parkway
Executive Summary
Outstanding commercial development opportunity in the heart of Navarre’s high-growth corridor. This 1.06-acre site offers 153 feet of frontage on Navarre Parkway (Highway 98), providing excellent visibility and access along one of the Gulf Coast’s busiest thoroughfares. Zoned commercial and surrounded by national retailers, residential communities, and major traffic drivers, the property is ideal for retail, medical, office, or service-based users. With strong demographics, high traffic counts, and continued growth in the area, this site is perfectly positioned for long-term success.
Property Facts
| Sale Type | Investment or Owner User | Property Subtype | Commercial |
| No. Lots | 1 | Proposed Use | Commercial |
| Property Type | Land | Total Lot Size | 1.06 AC |
| Zoning | PBD - PBD (Planned Business District) | ||
| Sale Type | Investment or Owner User |
| No. Lots | 1 |
| Property Type | Land |
| Property Subtype | Commercial |
| Proposed Use | Commercial |
| Total Lot Size | 1.06 AC |
| Zoning | PBD - PBD (Planned Business District) |
1 Lot Available
Lot
| Price | $855,456 CAD | Lot Size | 1.06 AC |
| Price Per AC | $807,034.17 CAD |
| Price | $855,456 CAD |
| Price Per AC | $807,034.17 CAD |
| Lot Size | 1.06 AC |
Description
Located along the thriving Navarre Parkway corridor, this prime commercial property sits in the heart of one of Florida’s fastest-growing coastal communities. With 153 feet of direct frontage on Highway 98, the site offers exceptional visibility and access to high daily traffic counts. Just minutes from Navarre Beach, Hurlburt Field, and major retailers, the area draws consistent local and tourist activity. Surrounded by national brands, residential growth, and new development, this location is ideal for retail, medical, or service-based businesses seeking exposure in a high-demand market.
Property Taxes
| Parcel Number | 23-2S-27-0000-02732-0000 | Improvements Assessment | $0 CAD |
| Land Assessment | $391,711 CAD | Total Assessment | $391,711 CAD |
Property Taxes
Parcel Number
23-2S-27-0000-02732-0000
Land Assessment
$391,711 CAD
Improvements Assessment
$0 CAD
Total Assessment
$391,711 CAD
1 of 5
Videos
Matterport 3D Exterior
Matterport 3D Tour
Photos
Street View
Street
Map
