Log In/Sign Up
Your email has been sent.
7000 Gasparilla Rd
Port Charlotte, FL 33981
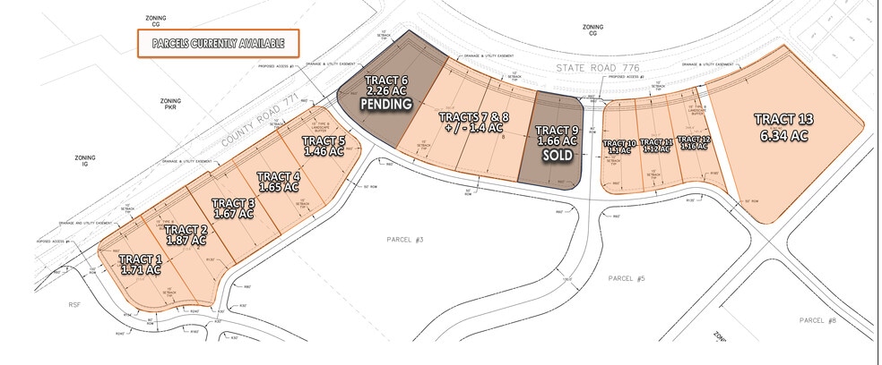
Lot 12 - Harbor Village Retail Parcels · Land For Lease


Highlights
- Features over 1500 feet of frontage on McCall Rd (776).
- McCall Rd/776 is a main arterial thoroughfare in Charlotte County providing direct access for the coastal region to US41 and I-75.
Property Facts
1 of 4
Videos
Matterport 3D Exterior
Matterport 3D Tour
Photos
Street View
Street
Map
