Log In/Sign Up
Your email has been sent.
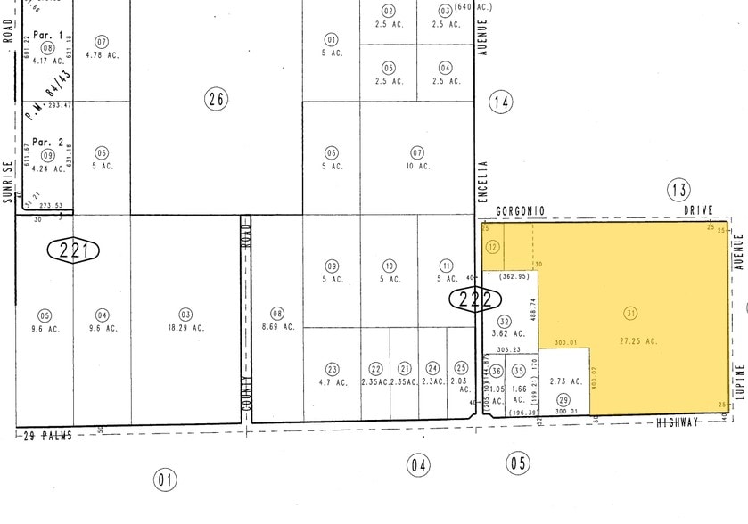
71800 Twentynine Palms Hwy
Twentynine Palms, CA 92277
CG Zoned Acreage · Land For Sale
·
28.06 AC


Investment Highlights
- Total Land Size: ± 28.06 Acres (± 1,222,228 SF)
- City of Twentynine Palms is home to the largest Marine Base in America with over 12,500 Servicemen
- Major Street Visibility
- Highway Frontage
- Immediate Access to Downtown Twentynine Palms, Joshua Tree National Park, Marine Base, Yucca Valley Airport, & Project Phoenix Community Center
Executive Summary
28.06 acre lot for sale with highway frontage in Twentynine Palms.
Property Facts
| Sale Type | Investment or Owner User | Proposed Use | Commercial |
| No. Lots | 1 | Total Lot Size | 28.06 AC |
| Property Type | Land | Cross Streets | Lupine Ave |
| Property Subtype | Commercial | ||
| Zoning | CG | ||
| Sale Type | Investment or Owner User |
| No. Lots | 1 |
| Property Type | Land |
| Property Subtype | Commercial |
| Proposed Use | Commercial |
| Total Lot Size | 28.06 AC |
| Cross Streets | Lupine Ave |
| Zoning | CG |
1 Lot Available
Lot
| Price | $2,529,043 CAD | Lot Size | 28.06 AC |
| Price Per AC | $90,129.81 CAD |
| Price | $2,529,043 CAD |
| Price Per AC | $90,129.81 CAD |
| Lot Size | 28.06 AC |
Total Land Size: ± 28.06 Acres (± 1,222,228 SF)
Property Taxes
| Parcel Numbers | Improvements Assessment | $0 CAD | |
| Land Assessment | $698,355 CAD | Total Assessment | $698,355 CAD |
Property Taxes
Parcel Numbers
Land Assessment
$698,355 CAD
Improvements Assessment
$0 CAD
Total Assessment
$698,355 CAD
1 of 3
Videos
Matterport 3D Exterior
Matterport 3D Tour
Photos
Street View
Street
Map
