Your email has been sent.
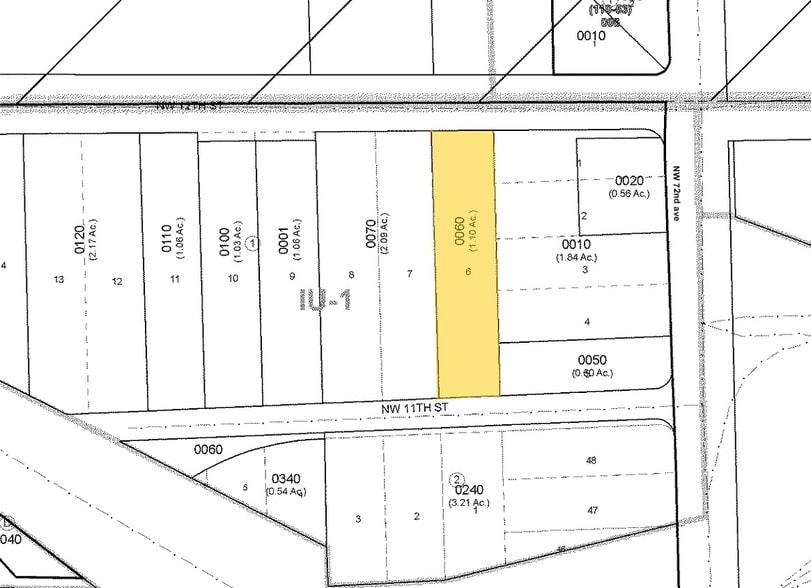
Qualified Opportunity Zone 7240 NW 12th St 1.07 Acres of Commercial Land for Lease in Miami, FL 33126



Highlights
- Located 3.1 miles from Miami International Airport, offering direct airport access for logistics operations.
- Property lies approximately 10 miles from PortMiami, supporting import/export and freight-forwarding needs.
- Immediate proximity to major highways including SR-836 and SR-826 ensures efficient regional connectivity.
LOT Available
Display Rental Rate as
| Rental Rate |
|
Lot Size | 1.07 AC |
| Lease Term | 1 - 10 Years |
| Rental Rate | |
| Lease Term | 1 - 10 Years |
| Lot Size | 1.07 AC |
Property Overview
This 1.07-acre parcel at 7240 NW 12th Street in Miami is a highly functional industrial outdoor storage site situated within the Miami Airport East submarket. Just minutes from Miami International Airport and major transportation arteries—including State Road 836 (Dolphin Expressway) and State Road 826 (Palmetto Expressway)—the property offers unparalleled logistics connectivity. The location is ideal for businesses requiring secure outdoor storage or operational laydown space such as truck parking, drayage services, automotive storage, or towing company operations. Nearby access to the 25th Street Viaduct Sky Bridge and close proximity to PortMiami enhances its value for companies engaged in regional and international freight movement. The site benefits from Miami-Dade County’s robust economic activity and its positioning within a thriving hub for trade, distribution, and transportation-related industries.
Property Facts
Presented by
Qualified Opportunity Zone | 7240 NW 12th St
Hmm, there seems to have been an error sending your message. Please try again.
Thanks! Your message was sent.
