Log In/Sign Up
Your email has been sent.
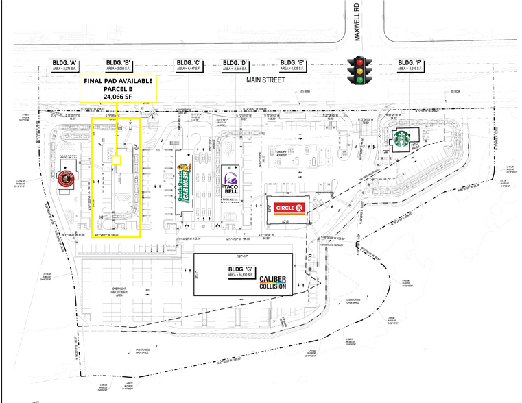
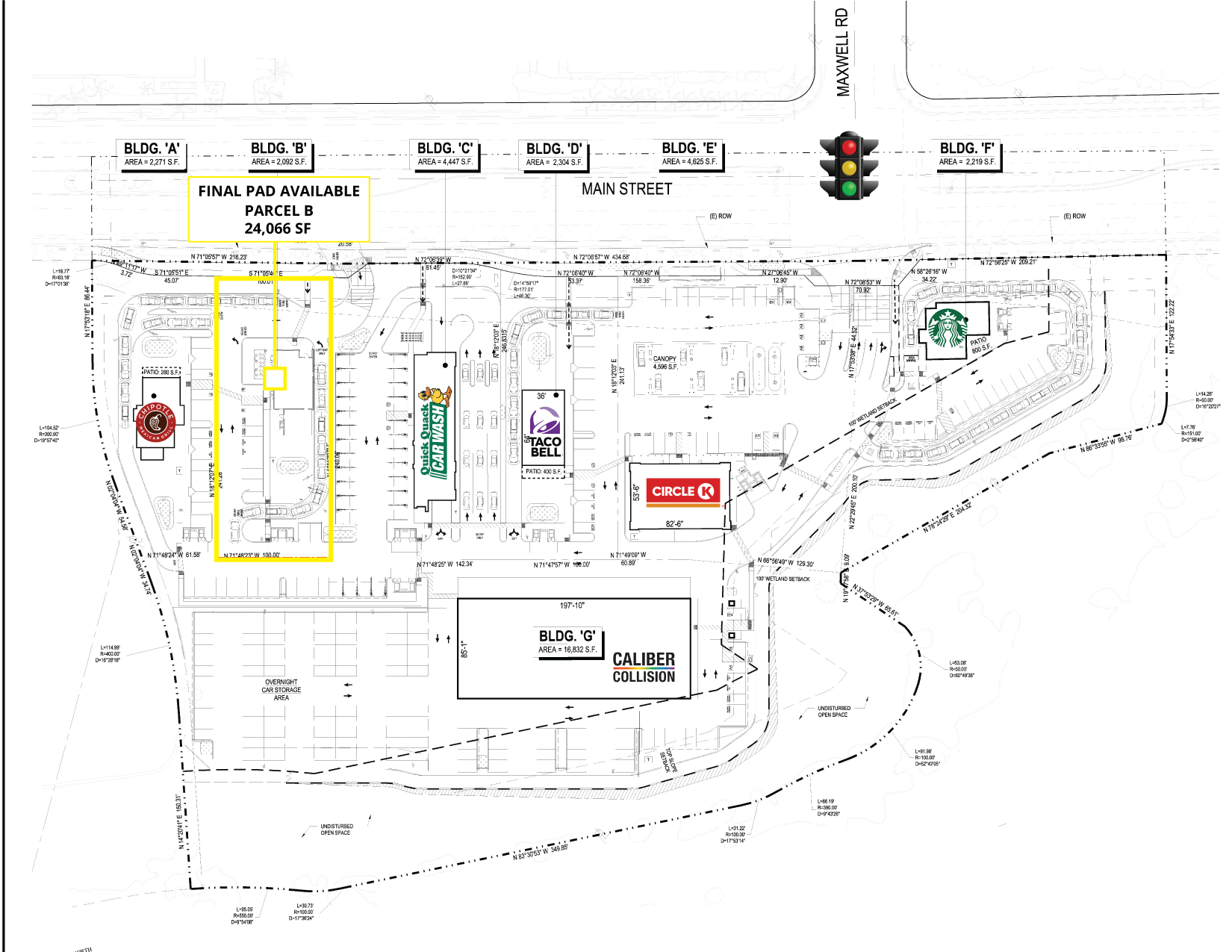
South Corner of Main Street and Maxwell Rd 750 Main St 0.05 Acres of Commercial Land for Lease in Chula Vista, CA 91911



LOT Available
Display Rental Rate as
| Rental Rate |
|
Lot Size | 0.05 AC |
| Lease Term | Negotiable |
| Rental Rate | |
| Lease Term | Negotiable |
| Lot Size | 0.05 AC |
Final Pad space available - 2,092 SF
Property Overview
Highlights - Highest Growth Area in San Diego - 4,450 acres for 13,000 homes and 2m+ SF of commercial in progress to the East - Final Pad Available
Property Facts
| Total Space Available | 0.05 AC | Property Subtype | Commercial |
| Property Type | Land | Proposed Use | Commercial |
| Total Space Available | 0.05 AC |
| Property Type | Land |
| Property Subtype | Commercial |
| Proposed Use | Commercial |
Fairly walkable
40/100
Exceptionally drivable
100/100
Minimal public transit
10/100
Moderately bikeable
60/100
1 of 5
Videos
Matterport 3D Exterior
Matterport 3D Tour
Photos
Street View
Street
Map
Presented by
South Corner of Main Street and Maxwell Rd | 750 Main St
Already a member? Log In
Hmm, there seems to have been an error sending your message. Please try again.
Thanks! Your message was sent.

