Log In/Sign Up
Your email has been sent.
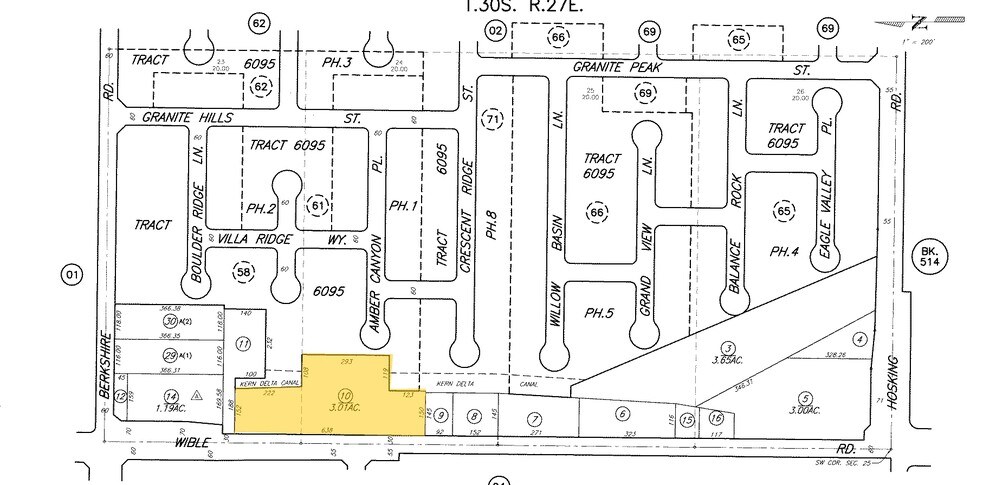
7500 Wible Rd
Bakersfield, CA 93313
Land For Sale
·
3.01 AC


Property Facts
| Sale Type | Investment | Property Subtype | Residential |
| No. Lots | 1 | Total Lot Size | 3.01 AC |
| Property Type | Land | ||
| Zoning | R-1 | ||
| Sale Type | Investment |
| No. Lots | 1 |
| Property Type | Land |
| Property Subtype | Residential |
| Total Lot Size | 3.01 AC |
| Zoning | R-1 |
1 Lot Available
Lot
| Price | $2,465,478 CAD | Lot Size | 3.01 AC |
| Price Per AC | $819,095.66 CAD |
| Price | $2,465,478 CAD |
| Price Per AC | $819,095.66 CAD |
| Lot Size | 3.01 AC |
Property Taxes
| Parcel Number | 515-110-10-00-4 | Improvements Assessment | $0 CAD |
| Land Assessment | $444,785 CAD | Total Assessment | $444,785 CAD |
Property Taxes
Parcel Number
515-110-10-00-4
Land Assessment
$444,785 CAD
Improvements Assessment
$0 CAD
Total Assessment
$444,785 CAD
1 of 3
Videos
Matterport 3D Exterior
Matterport 3D Tour
Photos
Street View
Street
Map
