Log In/Sign Up
Your email has been sent.
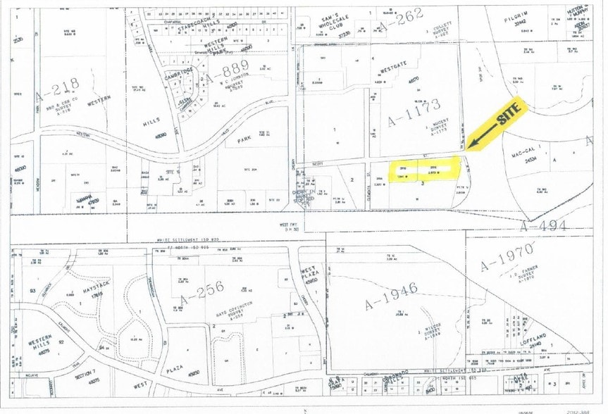
7601-7605 Scott St 3.91 Acres of Commercial Land Offered at $3,488,918 CAD in White Settlement, TX 76108



Investment Highlights
- Easy access to Hwy 820,Hwy 30 & Hwy 20 & high visibility
Property Facts
| Price | $3,488,918 CAD | Property Subtype | Commercial |
| Sale Type | Owner User | Proposed Use | |
| No. Lots | 1 | Total Lot Size | 3.91 AC |
| Property Type | Land | ||
| Zoning | "C-C" - Corridor Commercial | ||
| Price | $3,488,918 CAD |
| Sale Type | Owner User |
| No. Lots | 1 |
| Property Type | Land |
| Property Subtype | Commercial |
| Proposed Use | |
| Total Lot Size | 3.91 AC |
| Zoning | "C-C" - Corridor Commercial |
1 Lot Available
Lot
| Price | $3,488,918 CAD | Lot Size | 3.91 AC |
| Price Per AC | $892,306.50 CAD |
| Price | $3,488,918 CAD |
| Price Per AC | $892,306.50 CAD |
| Lot Size | 3.91 AC |
3.914 Acres
Fairly walkable
40/100
Exceptionally drivable
100/100
Minimal public transit
10/100
Somewhat bikeable
20/100
Property Taxes
| Parcel Numbers | Improvements Assessment | $0 CAD | |
| Land Assessment | $696,818 CAD | Total Assessment | $696,818 CAD |
Property Taxes
Parcel Numbers
Land Assessment
$696,818 CAD
Improvements Assessment
$0 CAD
Total Assessment
$696,818 CAD
1 of 6
Videos
Matterport 3D Exterior
Matterport 3D Tour
Photos
Street View
Street
Map
Presented by
7601-7605 Scott St
Already a member? Log In
Hmm, there seems to have been an error sending your message. Please try again.
Thanks! Your message was sent.

