Your email has been sent.
Executive Summary
ALL OFFERS DUE BY NOON ON THURSDAY APRIL 30, 2026 WITH PROOF OF FUNDS.
PLEASE USE RAND COMMERCIAL'S SALES BID DOCUMENT AT THE END OF THE OFFERING MEMORANDUM PACKAGE IN THE DOCUMENT FILE.
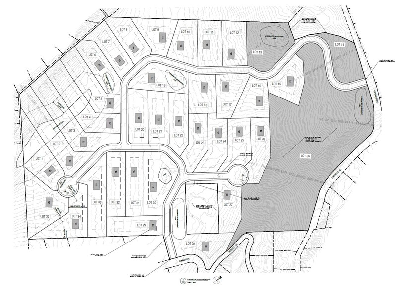
Rand Commercial is pleased to present the exclusive offering of 77 Roselawn Road, a ±62-acre vacant residential development site situated in the Village of Woodbury, Orange County, New York. The property is currently owned by the Archdiocese of New York and represents a rare opportunity to acquire a sizable, R-1A zoned development parcel in a supply-constrained residential submarket with strong demand fundamentals.
ZONING INFORMATION — R-1A DISTRICT (Check doc file)
The subject property is zoned R-1A (Residential One-Acre) by the Town of Woodbury. The R-1A district is designed to provide a suitable suburban living environment for single-family residences, either on smaller lots served by publicly owned central water and sewer systems or on larger lots in highly developed portions of the Village, close to hamlet centers.
A feasibility study prepared by LaBella Associates (February 2023) identifies a conceptual 36-lot subdivision, of which 33 lots are considered fully developable for single-family homes, each with a proposed 2,400 SF (60’ × 40’) building footprint. The site benefits from four-road frontage, all municipal utilities, and proximity to major regional transportation corridors.
PROPERTY SUMMARY:
Address 77 Roselawn Road, Highland Mills, NY 10930 Municipality Village & Town of Woodbury, Orange County, NY
Tax Parcel 233-1-9.2 (Section 223)Site Area ±62.0 acres (±2,700,720 SF)
Zoning R-1A — Residential One-Acre (Village of Woodbury)
Conceptual Lot Yield 33 developable lots ; Proposed Home Size 2,400 SF gross building area per unit (60’ × 40’ footprint)
Frontage Roselawn Road (±600 LF), Edgewood Drive (±780 LF), Dogwood Dr & Summit Ave (±398 LF)
Topography Hilly; slope analysis completed by LaBella Associates Flood Zone Zone X (outside 500-year flood plain) — FEMA Map 36071C-0484E (8/3/09)
Utilities All municipal/public utilities available to the site Wetlands ±14.95 acres (±24%) — anticipated donation to municipality under conservation easement
Current Use Vacant land (no improvements)
Current Tax Status Exempt (religious not-for-profit); est. $14,000–$20,000/yr per home upon development
School District Monroe-Woodbury Central (334089) Fire District Woodbury FD013
ALL OFFERS DUE BY NOON ON THURSDAY APRIL 30, 2026 WITH PROOF OF FUNDS.
PLEASE USE RAND COMMERCIAL'S SALES BID DOCUMENT AT THE END OF THE OFFERING MEMORANDUM PACKAGE IN THE DOCUMENT FILE.
Property Facts
1 Lot Available
Lot
| Lot Size | 62.00 AC |
| Lot Size | 62.00 AC |
Description
CALLING ALL DEVELOPERS FOR OFFERS TO PURCHASE! ALL OFFERS DUE BY NOON ON THURSDAY APRIL 30, 2026 WITH PROOR OF FUNDS. PLEASE USE RAND COMMERCIAL'S SALES BID DOCUMENT AT THE END OF THE OFFERING MEMORANDUM PACKAGE IN THE DOCUMENT FILE. Rand Commercial is pleased to present the exclusive offering of 77 Roselawn Road, a ±62-acre vacant residential development site situated in the Village of Woodbury, Orange County, New York. The property is currently owned by the Archdiocese of New York and represents a rare opportunity to acquire a sizable, R-1A zoned development parcel in a supply-constrained residential submarket with strong demand fundamentals. ZONING INFORMATION — R-1A DISTRICT (Check doc file) The subject property is zoned R-1A (Residential One-Acre) by the Town of Woodbury. The R-1A district is designed to provide a suitable suburban living environment for single-family residences, either on smaller lots served by publicly owned central water and sewer systems or on larger lots in highly developed portions of the Village, close to hamlet centers. A feasibility study prepared by LaBella Associates (February 2023) identifies a conceptual 36-lot subdivision, of which 33 lots are considered fully developable for single-family homes, each with a proposed 2,400 SF (60’ × 40’) building footprint. The site benefits from four-road frontage, all municipal utilities, and proximity to major regional transportation corridors. PROPERTY SUMMARY: Address 77 Roselawn Road, Highland Mills, NY 10930 Municipality Village & Town of Woodbury, Orange County, NY Tax Parcel 233-1-9.2 (Section 223)Site Area ±62.0 acres (±2,700,720 SF) Zoning R-1A — Residential One-Acre (Village of Woodbury) Conceptual Lot Yield 33 developable lots ; Proposed Home Size 2,400 SF gross building area per unit (60’ × 40’ footprint) Frontage Roselawn Road (±600 LF), Edgewood Drive (±780 LF), Dogwood Dr & Summit Ave (±398 LF) Topography Hilly; slope analysis completed by LaBella Associates Flood Zone Zone X (outside 500-year flood plain) — FEMA Map 36071C-0484E (8/3/09) Utilities All municipal/public utilities available to the site Wetlands ±14.95 acres (±24%) — anticipated donation to municipality under conservation easement Current Use Vacant land (no improvements) Current Tax Status Exempt (religious not-for-profit); est. $14,000–$20,000/yr per home upon development School District Monroe-Woodbury Central (334089) Fire District Woodbury FD013
Presented by
77 Roselawn Rd - 62+/-AC, 77 Roselawn Rd
Hmm, there seems to have been an error sending your message. Please try again.
Thanks! Your message was sent.




